Benvenuto Ospite

Forum Entomologi Italiani

www.entomologiitaliani.net/forum
 
Oggi è 09/05/2026, 13:41

Tutti gli orari sono UTC + 1 ora [ ora legale ]

Staphylinidae Toscana

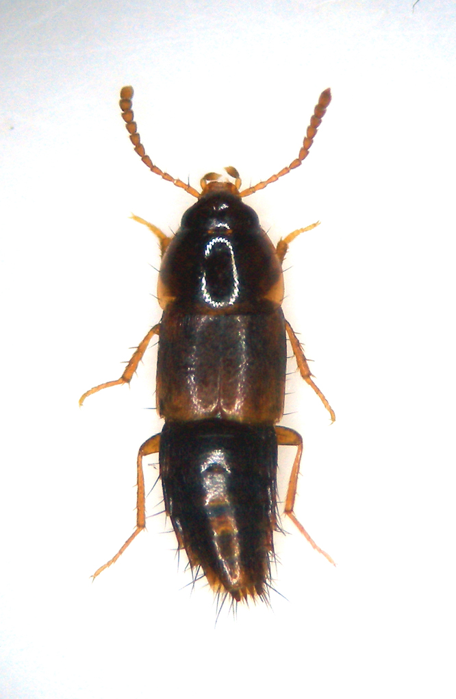
4.III.2012 - ITALIA - Toscana - GR, Oasi wwf San Felice Legit:Bastianini-Nappini


nuovo argomento
rispondi
Pagina 1 di 1 [ 3 messaggi ]
Autore Messaggio
 Oggetto del messaggio: Staphylinidae Toscana
MessaggioInviato: 05/03/2012, 23:10 
Avatar utente

Iscritto il: 10/05/2010, 22:31
Messaggi: 4377
Località: Gavorrano (GR)
Nome: marco bastianini
In trappole aeree in pineta litoranea.Dimensioni mm.1,5.
wwf staph.1 mm.1.5.jpg


_________________
:to: Marco
"Le foreste a precedere le civiltà, i deserti a seguire."
François-René de Chateaubriand


Top
profilo
 Oggetto del messaggio: Re: Staphylinidae Toscana
MessaggioInviato: 05/03/2012, 23:37 
Avatar utente

Iscritto il: 01/07/2010, 22:26
Messaggi: 5665
Località: Viterbo
Nome: Marco Selis
La sottofamiglia è Tachyporinae. E' una sottofamiglia molto interessante ma anche molto complessa(almeno per me :oops: ) e si trova ben poca bibliografia :oooner: Il genere dovrebbe essere Tachyporus Gravenhorst, 1802, oltre non oso!


Top
profilo
 Oggetto del messaggio: Re: Staphylinidae Toscana
MessaggioInviato: 06/03/2012, 0:02 
Avatar utente

Iscritto il: 10/05/2010, 22:31
Messaggi: 4377
Località: Gavorrano (GR)
Nome: marco bastianini
Grazie Marco :ok:

_________________
:to: Marco
"Le foreste a precedere le civiltà, i deserti a seguire."
François-René de Chateaubriand


Top
profilo
Visualizza ultimi messaggi:  Ordina per  
nuovo argomento
rispondi
Pagina 1 di 1 [ 3 messaggi ]

Tutti gli orari sono UTC + 1 ora [ ora legale ]


Chi c’è in linea

Visitano il forum: Nessuno e 1 ospite


Non puoi aprire nuovi argomenti
Non puoi rispondere negli argomenti
Non puoi modificare i tuoi messaggi
Non puoi cancellare i tuoi messaggi
Non puoi inviare allegati

Cerca per:
Vai a:  
cron