Benvenuto Ospite

Forum Entomologi Italiani

www.entomologiitaliani.net/forum
 
Oggi è 28/03/2026, 16:37

Tutti gli orari sono UTC + 1 ora [ ora legale ]

Ochthephilum sp. - Staphylinidae

25.XI.2013 - ITALIA - Lazio - RM, Via di Settebagni


nuovo argomento
rispondi
Pagina 1 di 1 [ 3 messaggi ]
Autore Messaggio
 Oggetto del messaggio: Ochthephilum sp. - Staphylinidae
MessaggioInviato: 18/01/2014, 23:05 
Avatar utente

Iscritto il: 30/12/2009, 22:20
Messaggi: 31564
Località: Roma
Nome: Maurizio Gigli
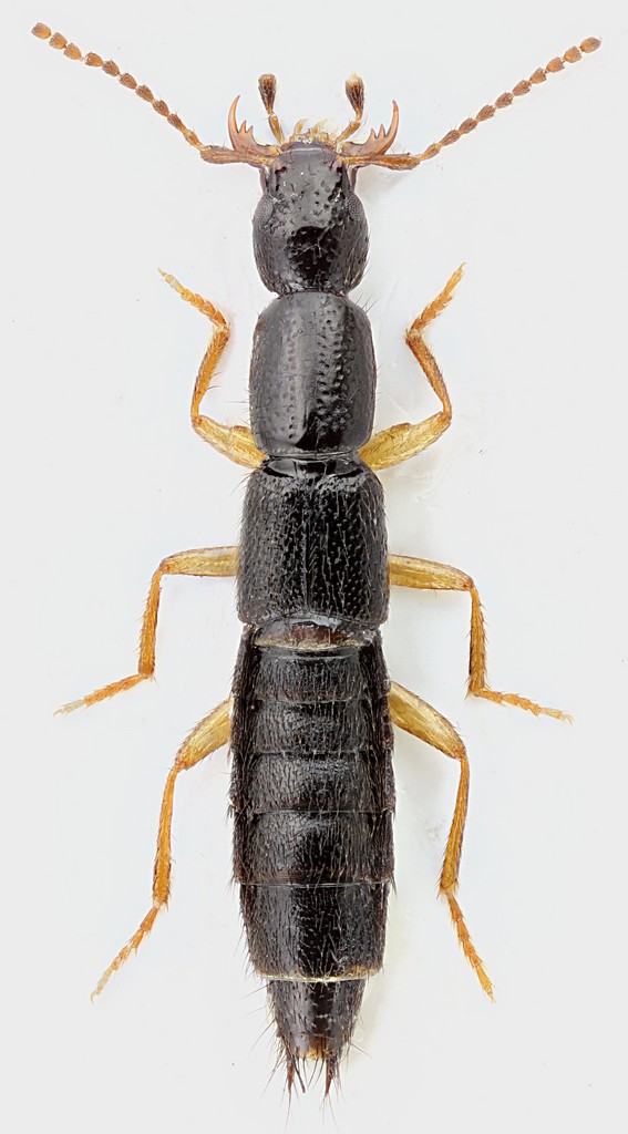
Ecco un altro Staphylinidae, sempre nel solito prato allagato, in mezzo ai detriti galleggianti.

Lazio, Roma, Via di Settebagni, 25.XI.2013, M. Gigli legit

5 mm
Staphylinidae_Settebagni_25-XI-2013_15_5mm_grey.jpg


_________________
Maurizio Gigli
http://utenti.romascuola.net/bups
http://bup.xoom.it/


Top
profilo
 Oggetto del messaggio: Re: Staphylinidae
MessaggioInviato: 18/01/2014, 23:12 
Avatar utente

Iscritto il: 01/07/2010, 22:26
Messaggi: 5663
Località: Viterbo
Nome: Marco Selis
Mi sembra identico a questo.


Top
profilo
 Oggetto del messaggio: Re: Staphylinidae
MessaggioInviato: 18/01/2014, 23:19 
Avatar utente

Iscritto il: 30/12/2009, 22:20
Messaggi: 31564
Località: Roma
Nome: Maurizio Gigli
Hai ragione! Non mi ricordavo di averne già fotografato uno di questa specie!

_________________
Maurizio Gigli
http://utenti.romascuola.net/bups
http://bup.xoom.it/


Top
profilo
Visualizza ultimi messaggi:  Ordina per  
nuovo argomento
rispondi
Pagina 1 di 1 [ 3 messaggi ]

Tutti gli orari sono UTC + 1 ora [ ora legale ]


Chi c’è in linea

Visitano il forum: Nessuno e 1 ospite


Non puoi aprire nuovi argomenti
Non puoi rispondere negli argomenti
Non puoi modificare i tuoi messaggi
Non puoi cancellare i tuoi messaggi
Non puoi inviare allegati

Cerca per:
Vai a: