Benvenuto Ospite

Forum Entomologi Italiani

www.entomologiitaliani.net/forum
 
Oggi è 24/03/2026, 13:51

Tutti gli orari sono UTC + 1 ora [ ora legale ]

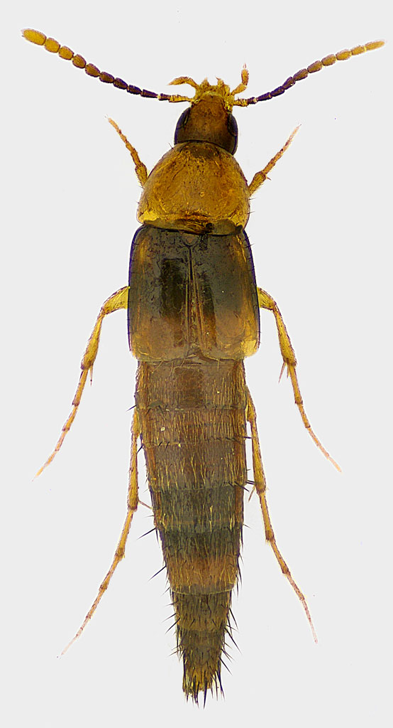
Ischnosoma sp. - Staphylinidae

17.I.2011 - ITALIA - Veneto - BL, Feltre: Foen Loc. Fornace 46° 2'35"N 11°55'3"E


nuovo argomento
rispondi
Pagina 1 di 1 [ 2 messaggi ]
Autore Messaggio
 Oggetto del messaggio: Ischnosoma sp. - Staphylinidae
MessaggioInviato: 20/01/2011, 23:26 
Avatar utente

Iscritto il: 08/06/2009, 0:06
Messaggi: 3415
Località: Feltre(BL)
Nome: Nicola Dal Zotto
Trovato vagliando
stapf.jpg

ed2f.jpg


_________________
Nicola Dal Zotto


Top
profilo
 Oggetto del messaggio: Re: Staphylinidae
MessaggioInviato: 05/02/2021, 8:52 
 

Iscritto il: 02/11/2010, 22:33
Messaggi: 991
Nome: Aleksei Kovalev
Ischnosoma:
http://www.matuskocian.cz/files/kocian1 ... arctic.pdf
:hi:


Top
profilo
Visualizza ultimi messaggi:  Ordina per  
nuovo argomento
rispondi
Pagina 1 di 1 [ 2 messaggi ]

Tutti gli orari sono UTC + 1 ora [ ora legale ]


Chi c’è in linea

Visitano il forum: Nessuno e 2 ospiti


Non puoi aprire nuovi argomenti
Non puoi rispondere negli argomenti
Non puoi modificare i tuoi messaggi
Non puoi cancellare i tuoi messaggi
Non puoi inviare allegati

Cerca per:
Vai a: