Benvenuto Ospite

Forum Entomologi Italiani

www.entomologiitaliani.net/forum
 
Oggi è 23/03/2026, 22:36

Tutti gli orari sono UTC + 1 ora [ ora legale ]

Staphylinidae sp.

XI.2015 - ITALIA - Emilia-Romagna - RA, Alfonsine, riserva naturale, stazione "Fornace Violani"


nuovo argomento
rispondi
Pagina 1 di 1 [ 7 messaggi ]
Autore Messaggio
 Oggetto del messaggio: Staphylinidae sp.
MessaggioInviato: 23/12/2015, 19:42 
Avatar utente

Iscritto il: 19/06/2012, 14:35
Messaggi: 5666
Località: Alfonsine (RA)
Nome: Marco Villani
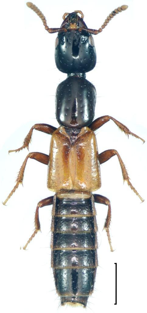
Questo Xantholinino è caduto in trappola insieme ad altri Staphylinidi. La suddetta trappola era al suolo, ai margini di un prato erboso, e conteneva aceto e succo di frutto (+ sale). Le antenne sembrano proprio da Hypnogyra angularis. Il capo è pressoché liscio, con dei finissimi puntini quasi impercettibili.
Si può confermare?
Metto il mese senza il giorno perché le trappole dove ho raccolto gli esemplari sono rimaste attive per circa due settimane.
dicembre2015 038.JPG


:hi:
P.S.: il dato è interessante dato che per la ZPS di Mezzano non erano stati segnalati Xantholinini.


Top
profilo
 Oggetto del messaggio: Re: Hypnogyra angularis?
MessaggioInviato: 23/12/2015, 20:00 
Avatar utente

Iscritto il: 09/11/2009, 14:12
Messaggi: 5196
Località: Hradec Kralove,Czech republik
Nome: Jan Matějíček
sicuramente non Hypnogyra
confrontare
con la foto

Hypnogyra angularis (Ganglbauer, 1895)
= glabra (Nordmann, 1837)


angulari (2).jpg

angulari.jpg

angulari (3).jpg


_________________
Research Fields
Taxonomy, ecology, biomonitoring , faunistic of Staphylinidae
Top
profilo
 Oggetto del messaggio: Re: Hypnogyra angularis?
MessaggioInviato: 24/12/2015, 10:12 
Avatar utente

Iscritto il: 19/06/2012, 14:35
Messaggi: 5666
Località: Alfonsine (RA)
Nome: Marco Villani
Hai ragione! La mia non ha quei punti sul capo, che invece è quasi liscio. Il colore sembra identico.


Top
profilo
 Oggetto del messaggio: Re: Hypnogyra angularis?
MessaggioInviato: 24/12/2015, 10:36 
Avatar utente

Iscritto il: 09/11/2009, 14:12
Messaggi: 5196
Località: Hradec Kralove,Czech republik
Nome: Jan Matějíček
e che cosa è questo?
Xantholinus (Helicophallus) distans Mulsant & Rey, 1853


distans - Kopie (2).jpg

distans - Kopie.jpg

distans.jpg


_________________
Research Fields
Taxonomy, ecology, biomonitoring , faunistic of Staphylinidae
Top
profilo
 Oggetto del messaggio: Re: Hypnogyra angularis?
MessaggioInviato: 24/12/2015, 10:38 
Avatar utente

Iscritto il: 19/06/2012, 14:35
Messaggi: 5666
Località: Alfonsine (RA)
Nome: Marco Villani
Grazie, il mio però ha capo e pronoto neri lucidi.
:hi:


Top
profilo
 Oggetto del messaggio: Re: Hypnogyra angularis?
MessaggioInviato: 24/12/2015, 10:55 
 

Iscritto il: 17/12/2015, 11:17
Messaggi: 195
Località: Manduria(TA)
Nome: Andrea Marino
Potrebbe essere Nudobius lentus (Gravenhorst,1806) :roll:


Ciao :hi:
Andrea :)

_________________
Ciao :hi:
Andrea


Top
profilo
 Oggetto del messaggio: Re: Hypnogyra angularis?
MessaggioInviato: 24/12/2015, 11:07 
Avatar utente

Iscritto il: 09/11/2009, 14:12
Messaggi: 5196
Località: Hradec Kralove,Czech republik
Nome: Jan Matějíček
sicuramente non
Nudobius lentus (Gravenhorst, 1806)


lentus.jpg

lentus - Kopie.jpg

lentus - Kopie (2).jpg


_________________
Research Fields
Taxonomy, ecology, biomonitoring , faunistic of Staphylinidae
Top
profilo
Visualizza ultimi messaggi:  Ordina per  
nuovo argomento
rispondi
Pagina 1 di 1 [ 7 messaggi ]

Tutti gli orari sono UTC + 1 ora [ ora legale ]


Chi c’è in linea

Visitano il forum: Nessuno e 2 ospiti


Non puoi aprire nuovi argomenti
Non puoi rispondere negli argomenti
Non puoi modificare i tuoi messaggi
Non puoi cancellare i tuoi messaggi
Non puoi inviare allegati

Cerca per:
Vai a: