Forum Entomologi Italiani
https://www.entomologiitaliani.net/public/forum/phpBB3/

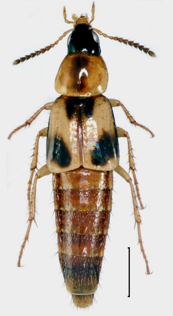
Lordithon sp. - Staphylinidae
https://www.entomologiitaliani.net/public/forum/phpBB3/viewtopic.php?f=244&t=82914
Pagina 1 di 1

Autore:  Adriana49 [ 21/11/2018, 19:39 ]
Oggetto del messaggio:  Lordithon sp. - Staphylinidae

Salve! L'ho trovato dentro un fungo, probabilmente un pinarolo, misura circa 4 mm. :roll: :roll: :roll:

Allegati:
2018-11-21 18-16-26 (B,Radius8,Smoothing4).jpg

2018-11-20 16-30-05 (B,Radius8,Smoothing4).jpg


Autore:  AetherisIgnis [ 21/11/2018, 23:07 ]
Oggetto del messaggio:  Re: Determinazione Staphylinidae

Lordithon bimaculatus/trinotatus/thoracicus/etc.
:hi:

Autore:  Adriana49 [ 22/11/2018, 8:33 ]
Oggetto del messaggio:  Re: Determinazione Staphylinidae

Grazie! Per la Sardegna la vecchia checklist segnala 3 Lordithon: exoletus, lunulatus e thoracicus, molto probabilmente è proprio quest'ultimo! Buona giornata! :hi: :hi: :hi:

Autore:  Honza [ 22/11/2018, 11:35 ]
Oggetto del messaggio:  Re: Determinazione Staphylinidae

confrontare con l'immagine

Lordithon thoracicus (Fabricius, 1777)

Allegati:
L thoracicus.jpg

L exoletus.jpg


Autore:  Honza [ 22/11/2018, 11:45 ]
Oggetto del messaggio:  Re: Determinazione Staphylinidae

altre specie

Allegati:
L. trinotatus
L trinotatus.jpg

L. bimaculatus
L bimaculatus.jpg


Autore:  Adriana49 [ 22/11/2018, 17:15 ]
Oggetto del messaggio:  Re: Determinazione Staphylinidae

Grazie Jan! Bellissime foto, molto esaurienti, nei prossimi giorni posterò altre specie......Devo mettere in evidenza qualche dettaglio in particolare? :lov1: :lov1: :lov1:

Autore:  Honza [ 22/11/2018, 18:41 ]
Oggetto del messaggio:  Re: Determinazione Staphylinidae

Die Käfer Mitteleuropas 4 Staphylinidae

Allegati:
Die Käfer Mitteleuropas 4 Staphylinidae I - 154.jpg

Die Käfer Mitteleuropas 4 Staphylinidae I - 155.jpg

Die Käfer Mitteleuropas 4 Staphylinidae I - 156.jpg

Die Käfer Mitteleuropas 4 Staphylinidae I - 157.jpg

Die Käfer Mitteleuropas 4 Staphylinidae I - 158.jpg


Pagina 1 di 1 Tutti gli orari sono UTC + 1 ora [ ora legale ]
Powered by phpBB® Forum Software © phpBB Group
http://www.phpbb.com/