Benvenuto Ospite

Forum Entomologi Italiani

www.entomologiitaliani.net/forum
 
Oggi è 24/03/2026, 13:24

Tutti gli orari sono UTC + 1 ora [ ora legale ]

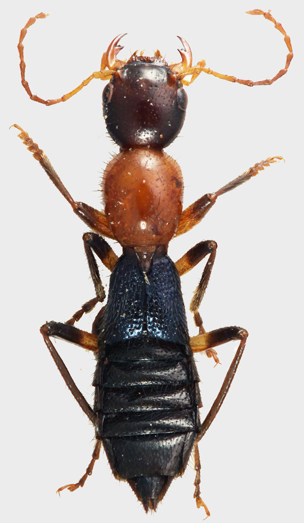
Staphylinidae Paederinae sp. Gabon

XII.2013 - GABON - EE, Parc Nat. Ivindo, Ipassa, S. Biondi leg.


nuovo argomento
rispondi
Pagina 1 di 1 [ 6 messaggi ]
Autore Messaggio
 Oggetto del messaggio: Staphylinidae Paederinae sp. Gabon
MessaggioInviato: 03/10/2020, 16:53 
Avatar utente

Iscritto il: 08/02/2010, 23:01
Messaggi: 6188
Località: Vicenza
Nome: Silvano Biondi
fei.jpg


fei2.jpg


11 mm, alla lampada.
Ho in collezione una decina di esemplari simili, raccolti in anni diversi.

:hi:

_________________



Silvano


Top
profilo
 Oggetto del messaggio: Re: Staphylinidae Gabon
MessaggioInviato: 03/10/2020, 17:10 
Avatar utente

Iscritto il: 08/02/2010, 23:01
Messaggi: 6188
Località: Vicenza
Nome: Silvano Biondi
Grazie Jan. Speranze di arrivare alla specie?

:hi:

_________________



Silvano


Top
profilo
 Oggetto del messaggio: Re: Staphylinidae Gabon
MessaggioInviato: 03/10/2020, 17:25 
 

Iscritto il: 02/11/2010, 22:33
Messaggi: 991
Nome: Aleksei Kovalev
Paederini: ?Oreopaederus
:hi:


Top
profilo
 Oggetto del messaggio: Re: Staphylinidae Gabon
MessaggioInviato: 03/10/2020, 17:32 
Avatar utente

Iscritto il: 08/02/2010, 23:01
Messaggi: 6188
Località: Vicenza
Nome: Silvano Biondi
Grazie Aleksei.
Ho l'impressione che sia saltato l'intervento di Jan :?

:hi:

_________________



Silvano


Top
profilo
 Oggetto del messaggio: Re: Staphylinidae Gabon
MessaggioInviato: 03/10/2020, 17:47 
 

Iscritto il: 02/11/2010, 22:33
Messaggi: 991
Nome: Aleksei Kovalev
yes, it looks like that :?


Top
profilo
 Oggetto del messaggio: Re: Staphylinidae Gabon
MessaggioInviato: 03/10/2020, 18:24 
Avatar utente

Iscritto il: 09/11/2009, 14:12
Messaggi: 5196
Località: Hradec Kralove,Czech republik
Nome: Jan Matějíček
.


4.png


_________________
Research Fields
Taxonomy, ecology, biomonitoring , faunistic of Staphylinidae
Top
profilo
Visualizza ultimi messaggi:  Ordina per  
nuovo argomento
rispondi
Pagina 1 di 1 [ 6 messaggi ]

Tutti gli orari sono UTC + 1 ora [ ora legale ]


Chi c’è in linea

Visitano il forum: Nessuno e 1 ospite


Non puoi aprire nuovi argomenti
Non puoi rispondere negli argomenti
Non puoi modificare i tuoi messaggi
Non puoi cancellare i tuoi messaggi
Non puoi inviare allegati

Cerca per:
Vai a: