Benvenuto Ospite

Forum Entomologi Italiani

www.entomologiitaliani.net/forum
 
Oggi è 28/03/2026, 18:12

Tutti gli orari sono UTC + 1 ora [ ora legale ]

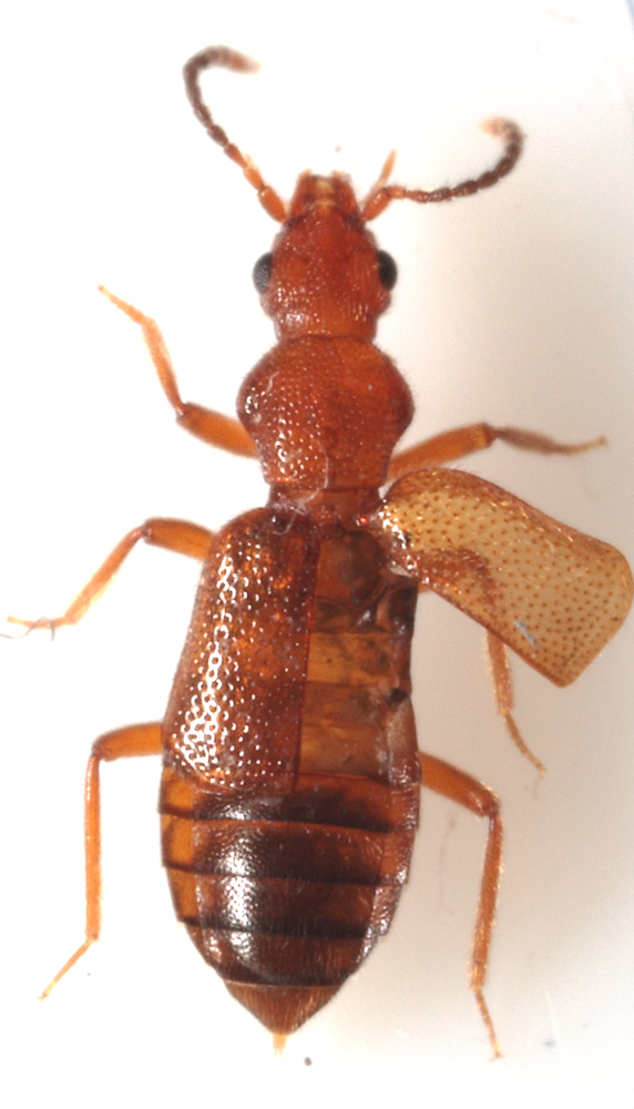
Lesteva sp. - Staphylinidae

4.IV.2022 - ITALIA - Lombardia - CO, Albavilla


nuovo argomento
rispondi
Pagina 1 di 1 [ 3 messaggi ]
Autore Messaggio
 Oggetto del messaggio: Lesteva sp. - Staphylinidae
MessaggioInviato: 14/04/2022, 17:30 
 

Iscritto il: 28/03/2013, 18:37
Messaggi: 595
Nome: marco salemi
Ciao a tutti
sui 4mm. circa
grazie


eggs rare+como sotto 031.jpg

Top
profilo
 Oggetto del messaggio: Re: aiuto ID
MessaggioInviato: 14/04/2022, 18:52 
Avatar utente

Iscritto il: 06/02/2009, 9:07
Messaggi: 1500
Località: Val Camonica (BS)
Nome: Davide Pedersoli
Lesteva sp :roll:

_________________
Pedux Camuno


Top
profilo
 Oggetto del messaggio: Re: aiuto ID
MessaggioInviato: 15/04/2022, 15:27 
 

Iscritto il: 28/03/2013, 18:37
Messaggi: 595
Nome: marco salemi
Grazie Davide :hi:


Top
profilo
Visualizza ultimi messaggi:  Ordina per  
nuovo argomento
rispondi
Pagina 1 di 1 [ 3 messaggi ]

Tutti gli orari sono UTC + 1 ora [ ora legale ]


Chi c’è in linea

Visitano il forum: Google [Bot] e 2 ospiti


Non puoi aprire nuovi argomenti
Non puoi rispondere negli argomenti
Non puoi modificare i tuoi messaggi
Non puoi cancellare i tuoi messaggi
Non puoi inviare allegati

Cerca per:
Vai a: