Benvenuto Ospite

Forum Entomologi Italiani

www.entomologiitaliani.net/forum
 
Oggi è 01/02/2026, 6:21

Tutti gli orari sono UTC + 1 ora [ ora legale ]

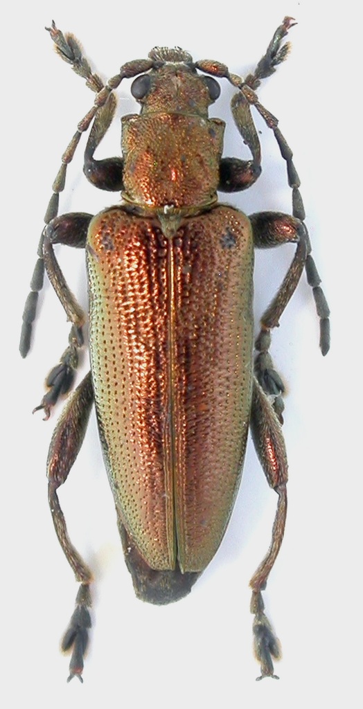
Donacia sp. - Chrysomelidae

20.V.2017 - MAROCCO - EE, MEKNES-TAFILALT – Pressi Col du Zad, R. Rattu leg.


nuovo argomento
rispondi
Pagina 1 di 1 [ 3 messaggi ]
Autore Messaggio
 Oggetto del messaggio: Donacia sp. - Chrysomelidae
MessaggioInviato: 30/07/2017, 16:47 
Avatar utente

Iscritto il: 02/09/2009, 20:57
Messaggi: 8703
Località: Cagliari
Nome: Roberto Rattu
In Marocco ho raccolto una serietta di Donacia sfalciando i giunchi ai margini di una pozza d'acqua. Con il lavoro di Pierre (Les Donaciinae de l'Afrique du Nord (Col. Chrysomelidae). Bulletin mensuel de la Société linnéenne de Lyon, 37ᵉ année, n°7, septembre 1968. pp. 307-315) arrivo a D. polita, ma vorrei conferma. L'esemplare misura 8.1 mm

DSCN2983.JPG


DSCN2985.JPG



Top
profilo
MessaggioInviato: 30/07/2017, 22:10 
 

Iscritto il: 24/03/2010, 12:42
Messaggi: 1450
Nome: Lech Borowiec
Male of Donacia polita has strongly incrassate hind femora with distinct spines on ventral margin. See:

http://www.cassidae.uni.wroc.pl/Europea ... polita.htm

If specimen on photo is a male then belongs to another species.


Top
profilo
MessaggioInviato: 30/07/2017, 22:38 
Avatar utente

Iscritto il: 02/09/2009, 20:57
Messaggi: 8703
Località: Cagliari
Nome: Roberto Rattu
Ok, thank you :)

:hi:


Top
profilo
Visualizza ultimi messaggi:  Ordina per  
nuovo argomento
rispondi
Pagina 1 di 1 [ 3 messaggi ]

Tutti gli orari sono UTC + 1 ora [ ora legale ]


Chi c’è in linea

Visitano il forum: Nessuno e 1 ospite


Non puoi aprire nuovi argomenti
Non puoi rispondere negli argomenti
Non puoi modificare i tuoi messaggi
Non puoi cancellare i tuoi messaggi
Non puoi inviare allegati

Cerca per:
Vai a:  
cron