Benvenuto Ospite

Forum Entomologi Italiani

www.entomologiitaliani.net/forum
 
Oggi è 13/05/2026, 23:59

Tutti gli orari sono UTC + 1 ora [ ora legale ]

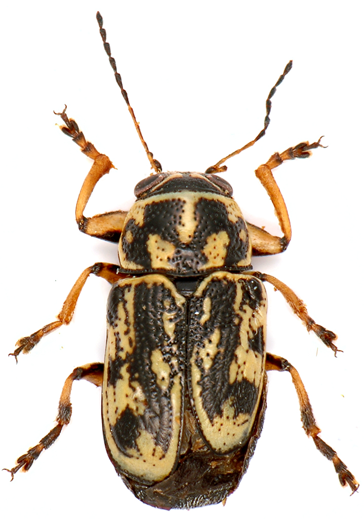
Pachybrachis cf. hippophaes (Suffrian, 1848) - Chrysomelidae - Basilicata

12.VI.2010 - ITALIA - Basilicata - PZ, Fiume Sarmento (vic. S. Costantino Albanese - Potenza), m. 400


nuovo argomento
rispondi
Pagina 1 di 1 [ 4 messaggi ]
Autore Messaggio
MessaggioInviato: 13/06/2010, 23:34 
Avatar utente

Iscritto il: 25/11/2009, 9:31
Messaggi: 8159
Località: Lecce
Nome: Maurizio Bollino
Dati: Basilicata - Fiume Sarmento (vic. S. Costantino Albanese - Potenza), m. 400, 12.VI.2010
Dimensioni: 4 mm

Pachybrachys-Sarmento.jpg


_________________
Maurizio Bollino


Top
profilo
 Oggetto del messaggio: Re: Pachybrachys - Basilicata
MessaggioInviato: 14/06/2010, 12:17 
 

Iscritto il: 24/03/2010, 12:42
Messaggi: 1458
Nome: Lech Borowiec
A lot of similar species diagnostic only by male genitalia.


Top
profilo
MessaggioInviato: 05/09/2010, 22:32 
Avatar utente

Iscritto il: 03/07/2009, 21:19
Messaggi: 420
Località: Castelmarte (CO)
Nome: davide sassi
E' un probabile Pachybrachis hippophaes. Ma come giustamente dice Lech, occorrerebbe l'esame dell'edeago. Ma è una femmina... :D

_________________
"Non credo in Adamo ed Eva, credo nelle scimmie" (Ilaria, 8 anni)


Top
profilo
MessaggioInviato: 05/09/2010, 23:10 
Avatar utente

Iscritto il: 25/11/2009, 9:31
Messaggi: 8159
Località: Lecce
Nome: Maurizio Bollino
enneaccatre ha scritto:
E' un probabile Pachybrachis hippophaes. Ma come giustamente dice Lech, occorrerebbe l'esame dell'edeago. Ma è una femmina... :D


Quindi lasciamo il cf. fino alla prossima annata di caccie!

Grazie

_________________
Maurizio Bollino


Top
profilo
Visualizza ultimi messaggi:  Ordina per  
nuovo argomento
rispondi
Pagina 1 di 1 [ 4 messaggi ]

Tutti gli orari sono UTC + 1 ora [ ora legale ]


Chi c’è in linea

Visitano il forum: Nessuno e 1 ospite


Non puoi aprire nuovi argomenti
Non puoi rispondere negli argomenti
Non puoi modificare i tuoi messaggi
Non puoi cancellare i tuoi messaggi
Non puoi inviare allegati

Cerca per:
Vai a:  
cron