Benvenuto Ospite

Forum Entomologi Italiani

www.entomologiitaliani.net/forum
 
Oggi è 02/04/2026, 7:26

Tutti gli orari sono UTC + 1 ora [ ora legale ]

Cebrio fuscatus Costa, 1847 (cf.) - Elateridae Cebrioninae

X.2010 - ITALIA - Puglia - BR, Francavilla Fontana


nuovo argomento
rispondi
Pagina 1 di 1 [ 8 messaggi ]
Autore Messaggio
MessaggioInviato: 26/04/2011, 21:05 
Avatar utente

Iscritto il: 02/09/2009, 20:57
Messaggi: 8703
Località: Cagliari
Nome: Roberto Rattu
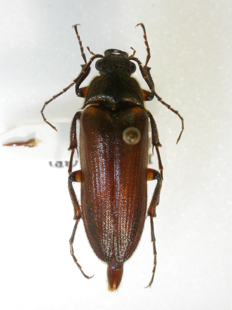
A Entomodena, grazie alla cortesia di Maurizio Bollino :lov2: , ho avuto una serie di interessanti Cebrio della Puglia :p . Dopo averli preparati e estratti uno per uno, mi sono cimentato nella determinazione. Per via della regione di provenienza pensavo si trattasse del Cebrio fiorii ma la descrizione che Leoni e Porta fanno di questa specie non mi quadra. A me infatti sembrano più affini al Cebrio brevicornis (=dubius).
Ecco un esemplare, è lungo circa 18 mm. Già per il colore delle elitre non mi sembra il fiorii anche se la lunghezza delle antenne farebbe propendere verso questa specie:


DSCN7237.JPG

Top
profilo
MessaggioInviato: 26/04/2011, 21:08 
Avatar utente

Iscritto il: 02/09/2009, 20:57
Messaggi: 8703
Località: Cagliari
Nome: Roberto Rattu
Il dettaglio dei primi articoli antennali:


DSCN7245.JPG

Top
profilo
MessaggioInviato: 26/04/2011, 21:13 
Avatar utente

Iscritto il: 02/09/2009, 20:57
Messaggi: 8703
Località: Cagliari
Nome: Roberto Rattu
Lobo mediano in visione laterale e dorsale: sembra molto diverso rispetto al disegno che Leoni fa di quello del Cebrio fiorii e mi sembra più simile a quello del Cebrio brevicornis (=dubius):


DSCN7242.JPG

DSCN7240.JPG

Top
profilo
MessaggioInviato: 26/04/2011, 21:21 
Avatar utente

Iscritto il: 02/09/2009, 20:57
Messaggi: 8703
Località: Cagliari
Nome: Roberto Rattu
Dettaglio del pronoto:


DSCN7238.JPG

Top
profilo
MessaggioInviato: 26/04/2011, 23:31 
Avatar utente

Iscritto il: 25/11/2009, 9:31
Messaggi: 8158
Località: Lecce
Nome: Maurizio Bollino
Fumea crassiorella ha scritto:
A Entomodena, grazie alla cortesia di Maurizio Bollino


Caro Roberto,
mi fa piacere che gli esemplari siano interessanti, ma la cortesia è stata di Fernando Angelini, che mi ha ceduto il flacone con gli esemplari da lui raccolti. Io ho fatto solo da .... intermediario tra il raccoglitore e te.

:hi: :hi:

_________________
Maurizio Bollino


Top
profilo
MessaggioInviato: 28/04/2011, 19:05 
 

Iscritto il: 10/07/2010, 14:42
Messaggi: 4869
Nome: Giuseppe Pace
Fumea crassiorella ha scritto:
Per via della regione di provenienza pensavo si trattasse del Cebrio fiorii ma la descrizione che Leoni e Porta fanno di questa specie non mi quadra. A me infatti sembrano più affini al Cebrio brevicornis (=dubius).

Ciao Roberto,
Altri Cebrio "fuori stagione" ?
Anche in questo caso si tratta di specie che non ho mai visto direttamente.
La località di provenienza è interessante perchè, unitamente all'aspetto, mi hanno fatto pensare che possa essere il "misconosciuto" Cebrio fuscatus.
La specie fu descritta della zona di Lecce e, come località, non siamo lontani.
Dovrebbe essere simile al C. fiorii (di colore chiaro) e, se fu chiamato fuscatus, un motivo ci sarà.
Occorrerà reperire la descrizione originale perchè i caratteri per distinguerlo dal C. fiorii non li conosco.

Giuseppe


Top
profilo
MessaggioInviato: 28/04/2011, 19:22 
Avatar utente

Iscritto il: 02/09/2009, 20:57
Messaggi: 8703
Località: Cagliari
Nome: Roberto Rattu
giuseppe55 ha scritto:
Ciao Roberto,
Altri Cebrio "fuori stagione" ?


:D , ma non è finita qui, ne ho anche alcuni della Tunisia e del Marocco!!

giuseppe55 ha scritto:
La località di provenienza è interessante perchè, unitamente all'aspetto, mi hanno fatto pensare che possa essere il "misconosciuto" Cebrio fuscatus.
La specie fu descritta della zona di Lecce e, come località, non siamo lontani.
Dovrebbe essere simile al C. fiorii (di colore chiaro) e, se fu chiamato fuscatus, un motivo ci sarà.
Occorrerà reperire la descrizione originale perchè i caratteri per distinguerlo dal C. fiorii non li conosco.
Giuseppe


Grazie, provo a reperire la descrizione, non dovrebbe essere difficile!

:hi:

p.s. ora sono fuori casa e non posso controllare ma mi pare che Leoni tratti con una certa circospezione il Cebrio fuscatus perché la descrizione di Costa non era particolarmente dettagliata....


Top
profilo
MessaggioInviato: 29/04/2011, 21:17 
 

Iscritto il: 10/07/2010, 14:42
Messaggi: 4869
Nome: Giuseppe Pace
Fumea crassiorella ha scritto:
, ma non è finita qui, ne ho anche alcuni della Tunisia e del Marocco!!

Mi fermo a quelli italiani.
Fortunatamente non sono io l'esperto di Cebrionidae.

Fumea crassiorella ha scritto:
Grazie, provo a reperire la descrizione, non dovrebbe essere difficile!

Fumea crassiorella ha scritto:
p.s. ora sono fuori casa e non posso controllare ma mi pare che Leoni tratti con una certa circospezione il Cebrio fuscatus perché la descrizione di Costa non era particolarmente dettagliata....

Sono consapevole che il C. fuscatus sia una specie da considerare con circospezione.
Comunque, rileggendo il lavoro sui Cebrio italiani, appare evidente che il C. fuscatus, anche se con caratteri poco dettagliati, era di descrizione antecedente; che il Leoni non ne aveva visionato alcun esemplare; che descrivendo il C. fiori, fosse consapevole di un'eventuale identità tra le due specie.
I caratteri per discriminare il C. fiorii dalle altre specie italiane li conosciamo (specialmente dimensioni relative e forma dell'apparato genitale maschile), pertanto, se tali caratteri non li ritroviamo nell'esemplare postato (dalle foto non riesco a capirlo), è ragionevole pensare che lo stesso, provenendo dall'areale del C. fuscatus, possa essere proprio questa specie.

Ciao
Giuseppe


Top
profilo
Visualizza ultimi messaggi:  Ordina per  
nuovo argomento
rispondi
Pagina 1 di 1 [ 8 messaggi ]

Tutti gli orari sono UTC + 1 ora [ ora legale ]


Chi c’è in linea

Visitano il forum: Bing [Bot] e 2 ospiti


Non puoi aprire nuovi argomenti
Non puoi rispondere negli argomenti
Non puoi modificare i tuoi messaggi
Non puoi cancellare i tuoi messaggi
Non puoi inviare allegati

Cerca per:
Vai a: