| Autore |
Messaggio |
|
Fumea crassiorella
|
Inviato: 10/03/2011, 15:01 |
|
Iscritto il: 02/09/2009, 20:57 Messaggi: 8703 Località: Cagliari
Nome: Roberto Rattu
|
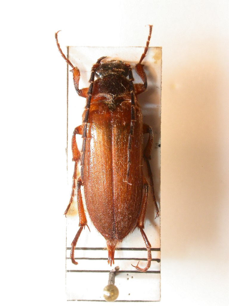
Cebrio neapolitanus Costa, 1847 Credevo fosse una sottospecie del Cebrio dubius ma vedo che in Faneur è stato elevato a specie  ; sempre da Faneur apprendo che il dubius ora si chiama Cebrio brevicornis Olivier 1790... Ad ogni modo, grazie alla cortesia di Giuseppe Pace (Giuseppe55) ho ricevuto alcuni esemplari di C. neapolitanus; la specie si distingue per la colorazione generale giallastra fulva. Sono in gran parte fulve le mandibole, i palpi, il labbro, le zampe (tranne, come dice il Porta, i ginocchi). Anche il lato ventrale è quasi sempre e interamente giallo così come la pubescenza delle elitre. Lunghezza: 20 mm
|
|
| Top |
|
 |
|
Fumea crassiorella
|
Inviato: 10/03/2011, 15:02 |
|
Iscritto il: 02/09/2009, 20:57 Messaggi: 8703 Località: Cagliari
Nome: Roberto Rattu
|
|
Un altro esemplare, dall'aspetto più giallo del precedente:
|
|
| Top |
|
 |
|
Fumea crassiorella
|
Inviato: 10/03/2011, 15:05 |
|
Iscritto il: 02/09/2009, 20:57 Messaggi: 8703 Località: Cagliari
Nome: Roberto Rattu
|
|
Inserisco un'ultima foto per dare una idea delle differenze tra le due specie: a sn un dubius (o meglio un brevicornis) dalla Toscana – Grosseto, loc. Vallemaggiore, 14 agosto 2010, leg. A. Petrioli), a dx il neapolitanus :
|
|
| Top |
|
 |
|
giuseppe55
|
Inviato: 10/03/2011, 20:31 |
|
Iscritto il: 10/07/2010, 14:42 Messaggi: 4866
Nome: Giuseppe Pace
|
Fumea crassiorella ha scritto: Ad ogni modo, grazie alla cortesia di Giuseppe Pace (Giuseppe55) ho ricevuto alcuni esemplari di C. neapolitanus; ed io, ... alla cortesia di Roberto Rattu (Fumea crassiorella) ho ricevuto alcuni esemplari di C. sardous. Fumea crassiorella ha scritto: Credevo fosse una sottospecie del Cebrio dubius ma vedo che in Faneur è stato elevato a specie ; sempre da Faneur apprendo che il dubius ora si chiama Cebrio brevicornis Olivier 1790... Ciao Roberto, penso che ne dobbiamo discutere. Mi stò convincendo che il C. neapolitanus sia da considerare una semplice varietà cromatica del C. brevicornis (=dubius), al pari del C. nigricornis ed in linea con le considerazioni del lavoro "I Cebrio italiani". Giuseppe
|
|
| Top |
|
 |
|
Anillus
|
Inviato: 10/03/2011, 23:38 |
|
Iscritto il: 18/02/2009, 0:24 Messaggi: 3909 Località: Asciano (Siena)
Nome: Andrea Petrioli
|
Domanda per Roberto e per Giuseppe ...a livello di edeago ci sono differenze  ,....poche  ,......evidenti  ,......nulle Per quello che mi sembra di leggere tra le righe scritte da Giuseppe, non ci dovrebbe essere una gran differenza.......
_________________ ______ Andrea
|
|
| Top |
|
 |
|
Fumea crassiorella
|
Inviato: 11/03/2011, 23:20 |
|
Iscritto il: 02/09/2009, 20:57 Messaggi: 8703 Località: Cagliari
Nome: Roberto Rattu
|
Anillus ha scritto: Domanda per Roberto e per Giuseppe ...a livello di edeago ci sono differenze  ,....poche  ,......evidenti  ,......nulle Per quello che mi sembra di leggere tra le righe scritte da Giuseppe, non ci dovrebbe essere una gran differenza....... Ho guardato gli edeagi dei (pochi, 12 esemplari) dubius toscani che possiedo confrontandoli con i neapolitanus e non ci ho visto alcuna differenza  .....vediamo che dice Giuseppe....
|
|
| Top |
|
 |
|
Anillus
|
Inviato: 12/03/2011, 8:26 |
|
Iscritto il: 18/02/2009, 0:24 Messaggi: 3909 Località: Asciano (Siena)
Nome: Andrea Petrioli
|
Fumea crassiorella ha scritto: Anillus ha scritto: Domanda per Roberto e per Giuseppe ...a livello di edeago ci sono differenze  ,....poche  ,......evidenti  ,......nulle Per quello che mi sembra di leggere tra le righe scritte da Giuseppe, non ci dovrebbe essere una gran differenza....... Ho guardato gli edeagi dei (pochi, 12 esemplari) dubius toscani che possiedo confrontandoli con i neapolitanus e non ci ho visto alcuna differenza  .....vediamo che dice Giuseppe.... ......chi sa ......forse negli stili femminili, hai controllato?  Scusate la battuta, ma di prima mattina così, dopo una notte insonne a causa dei pargoli, devo trovare il modo di "abbozzare" un sorriso Come ha scritto Roberto, aspettiamo la risposta di Giuseppe circa gli edeagi 
_________________ ______ Andrea
|
|
| Top |
|
 |
|
giuseppe55
|
Inviato: 12/03/2011, 14:24 |
|
Iscritto il: 10/07/2010, 14:42 Messaggi: 4866
Nome: Giuseppe Pace
|
|
Ciao a tutti,
premetto che fino a pochi mesi fa le mie conoscenze sui Cebrio erano limitate: alle tabelle del "Porta"; ad alcuni lavori sulla fauna spagnola; qualche vaga fotagrafia di alcune specie; una quindicina di esemplari di Toscana (C. dubius), Lazio (C. nigricornis) e Campania (C. neapolitanus). Per il resto era … "buio totale". Solo grazie al "Forum" ho avuto modo: di reperire l'iniziale lavoro "I Cebrio italiani"; di vedere le fotografie di tutte le specie citate per l'Italia (tranne l'enigmatico C. fuscatus della Puglia); di poterne discutere gli aspetti e le problematiche; ma, soprattutto, di essermi fatto un'idea sui caratteri distintivi delle varie specie. Inizialmente, per il Cebrio dubius erano state descritte due varietà, il nigricornis ed il neapolitanus, sulla base di varie differenze cromatiche più o meno costanti in popolazioni regionali più o meno ben definite. Nelle liste della Fauna italiana le due varietà furono indicate come buone specie. In Faneur ci sono C. brevicornis (=dubius)(=nigricornis) e C. neapolitanus. Nel lavoro "I Cebrio italiani" non sono riportate particolari note distintive a livello edeagico ed i disegni schematici ne sono la riprova. Anche nei miei pochi esemplari, praticamente più o meno "auto-estratti", non ho mai notato particolari differenze edeagiche.
In realtà, più che doverne dimostrare l'appartenenza ad una o più specie, penso sia opportuno appurare quali caratteri furono utilizzati per considerarle specie diverse.
Giuseppe
|
|
| Top |
|
 |
|