| Autore |
Messaggio |
|
ESAPODA
|
Inviato: 20/10/2009, 10:29 |
|
Iscritto il: 06/02/2009, 9:14 Messaggi: 91
Nome: Alessandro Molinu
|
|
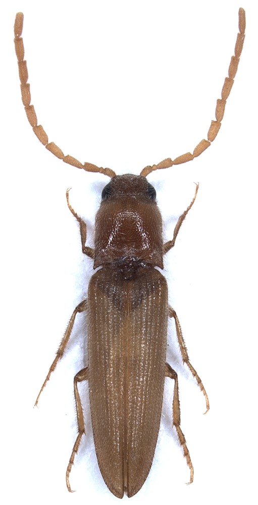
Cala Arena, 29 VII 2004, trappole a caduta, 7,5 mm. Alessandro
|
|
| Top |
|
 |
|
Daniele Sechi
|
Inviato: 20/10/2009, 10:41 |
|
Iscritto il: 04/02/2009, 17:49 Messaggi: 5514 Località: Cagliari
Nome: Daniele Sechi
|
|
Bello Ale! Per me Isidus moreli Mulsant & Rey, 1874
_________________  Daniele
|
|
| Top |
|
 |
|
Anostirus
|
Inviato: 20/10/2009, 14:23 |
|
Iscritto il: 24/09/2009, 20:40 Messaggi: 1951
Nome: Giuseppe Platia
|
|
Confermo Isidus moreli; specie tipica delle spiagge meglio conservate. Lo conosco di 22 località litoranee italiane e per la Sardegna lo conosco solo dell'Isola dell'Asinara e questo mi sembra strano! Qualcuno lo conosce anche di altre zone sarde? Ciao da Pino-Giuseppe (Anostirus)
|
|
| Top |
|
 |
|
Daniele Sechi
|
Inviato: 21/10/2009, 8:47 |
|
Iscritto il: 04/02/2009, 17:49 Messaggi: 5514 Località: Cagliari
Nome: Daniele Sechi
|
Anostirus ha scritto: Confermo Isidus moreli; specie tipica delle spiagge meglio conservate. Lo conosco di 22 località litoranee italiane e per la Sardegna lo conosco solo dell'Isola dell'Asinara e questo mi sembra strano! Qualcuno lo conosce anche di altre zone sarde? Ciao da Pino-Giuseppe (Anostirus) Ciao Giuseppe, credo di aver ricevuto molti anni fa un provettino da Hemerobius con un Isidus e mi sembra di ricordare provenisse da una spiaggia del Nord Sardegna (non dall'Asinara). Ma devo verificare (a meno che Hemerobius abbia una memoria eccezionale...  ).
_________________  Daniele
|
|
| Top |
|
 |
|
gigi58
|
Inviato: 21/10/2009, 8:49 |
|
Iscritto il: 25/02/2009, 20:08 Messaggi: 1469 Località: Paceco - Trapani
Nome: Luigi Barraco
|
Daniele Sechi ha scritto: Anostirus ha scritto: Ma devo verificare (a meno che Hemerobius abbia una memoria eccezionale...  ). Non so se tanto eccezionale, ma eccezionale senza dubbio 
_________________ Gigi
|
|
| Top |
|
 |
|
Hemerobius
|
Inviato: 21/10/2009, 10:15 |
|
Iscritto il: 02/02/2009, 23:32 Messaggi: 5645 Località: da Ferrara ad Alghero
Nome: Roberto A. Pantaleoni
|
Daniele Sechi ha scritto: Anostirus ha scritto: Confermo Isidus moreli; specie tipica delle spiagge meglio conservate. Lo conosco di 22 località litoranee italiane e per la Sardegna lo conosco solo dell'Isola dell'Asinara e questo mi sembra strano! Qualcuno lo conosce anche di altre zone sarde? Ciao da Pino-Giuseppe (Anostirus) Ciao Giuseppe, credo di aver ricevuto molti anni fa un provettino da Hemerobius con un Isidus e mi sembra di ricordare provenisse da una spiaggia del Nord Sardegna (non dall'Asinara). Ma devo verificare (a meno che Hemerobius abbia una memoria eccezionale...  ). Ah, ce l'hai tu? Non mi ricordavo di avertelo dato. Secondo me non è neppure di una spiaggia, ma di una località dell'interno. E forse ne ricordo uno di Porto Ferro. Ma non lo volevo dire, perché penso che Pino/Anostirus si arrabbierà al fatto che non ricordo dove li ho messi  ! Ciao Roberto 
_________________ verum stabile cetera fumus
|
|
| Top |
|
 |
|
Daniele Sechi
|
Inviato: 21/10/2009, 11:03 |
|
Iscritto il: 04/02/2009, 17:49 Messaggi: 5514 Località: Cagliari
Nome: Daniele Sechi
|
Hemerobius ha scritto: Ciao Giuseppe, credo di aver ricevuto molti anni fa un provettino da Hemerobius con un Isidus e mi sembra di ricordare provenisse da una spiaggia del Nord Sardegna (non dall'Asinara). Ma devo verificare (a meno che Hemerobius abbia una memoria eccezionale...  ). Ah, ce l'hai tu? Non mi ricordavo di avertelo dato. Secondo me non è neppure di una spiaggia, ma di una località dell'interno. E forse ne ricordo uno di Porto Ferro. Ma non lo volevo dire, perché penso che Pino/Anostirus si arrabbierà al fatto che non ricordo dove li ho messi  ! Ciao Roberto  [/quote] Credo di avere io quelli di Porto Ferro (ma devo controllare). Non ho la bolla di accompagnamento ma me li hai donati tu! 
_________________  Daniele
|
|
| Top |
|
 |
|
Anostirus
|
Inviato: 21/10/2009, 14:22 |
|
Iscritto il: 24/09/2009, 20:40 Messaggi: 1951
Nome: Giuseppe Platia
|
|
Roberto, sei perdonato per stavolta! Vediamo se Daniele trova gli esemplari per verificare la località. A presto Pino-Giuseppe (Anostirus)
|
|
| Top |
|
 |
|