Benvenuto Ospite

Forum Entomologi Italiani

www.entomologiitaliani.net/forum
 
Oggi è 23/12/2025, 23:50

Tutti gli orari sono UTC + 1 ora [ ora legale ]

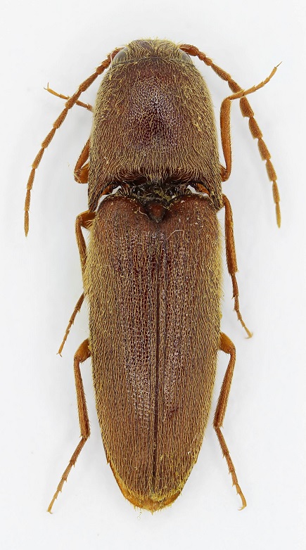
Mulsanteus schaumi (Candèze, 1882) - Elateridae

8.VI.1998 - GRECIA - EE, Isola di Rodi, Lindos, I. Zappi leg.


nuovo argomento
rispondi
Pagina 1 di 1 [ 4 messaggi ]
Autore Messaggio
MessaggioInviato: 19/02/2018, 15:05 
Avatar utente

Iscritto il: 18/06/2009, 16:54
Messaggi: 1093
Località: Casalecchio di Reno (BO)
Nome: Iuri Zappi
Lunghezza = 10.0 mm
Forse arrivato alla luce ma non mi ricordo.
Grazie in anticipo per ogni suggerimento.


Elateridae Rodi4 - Copia.jpg


_________________
:hi: :hi: :hi:
Iuri
Top
profilo
 Oggetto del messaggio: Re: Elateridae di Rodi2
MessaggioInviato: 20/02/2018, 12:28 
Avatar utente

Iscritto il: 24/09/2009, 20:40
Messaggi: 1951
Nome: Giuseppe Platia
:hp: :hp: Se come mi sembra di vedere (ma è da verificare) gli articoli antennali non hanno peluria eretta si tratta di Mulsanteus schaumi (Candèze).
:hi: :hi:


Top
profilo
 Oggetto del messaggio: Re: Elateridae di Rodi2
MessaggioInviato: 20/02/2018, 18:37 
Avatar utente

Iscritto il: 18/06/2009, 16:54
Messaggi: 1093
Località: Casalecchio di Reno (BO)
Nome: Iuri Zappi
Gli articoli antennali presentano peluria coricata con qualche setola più lunga agli apici.
Purtroppo non riesco a fare una fotografia dignitosa! :cry:
Prima o poi dovrò nuovamente attrezzarmi per fare fotografie al microscopio.


Elateridae Rodi4an.jpg


_________________
:hi: :hi: :hi:
Iuri
Top
profilo
 Oggetto del messaggio: Re: Elateridae di Rodi2
MessaggioInviato: 20/02/2018, 21:37 
Avatar utente

Iscritto il: 24/09/2009, 20:40
Messaggi: 1951
Nome: Giuseppe Platia
:hp: :hp: Confermo M. schaumi (Candèze)

:hi: :hi:


Top
profilo
Visualizza ultimi messaggi:  Ordina per  
nuovo argomento
rispondi
Pagina 1 di 1 [ 4 messaggi ]

Tutti gli orari sono UTC + 1 ora [ ora legale ]


Chi c’è in linea

Visitano il forum: Nessuno e 1 ospite


Non puoi aprire nuovi argomenti
Non puoi rispondere negli argomenti
Non puoi modificare i tuoi messaggi
Non puoi cancellare i tuoi messaggi
Non puoi inviare allegati

Cerca per:
Vai a: