| Forum Entomologi Italiani https://www.entomologiitaliani.net/public/forum/phpBB3/ |
|
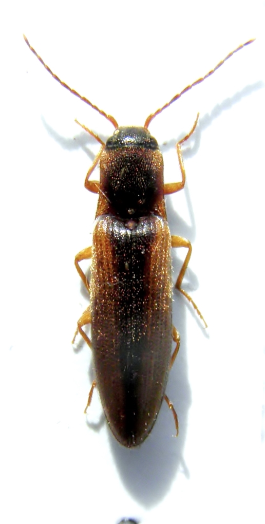
| Dalopius marginatus (Linnaeus, 1758) - Elateridae https://www.entomologiitaliani.net/public/forum/phpBB3/viewtopic.php?f=251&t=82561 |
Pagina 1 di 1 |
| Autore: | Agdistis [ 23/10/2018, 16:29 ] |
| Oggetto del messaggio: | Dalopius marginatus (Linnaeus, 1758) - Elateridae |
praticamente ultimo ...se non ne trova altri nelle scatole dim 8mm ho cercato di fare due foto almeno una che non sia troppo brutta.... Grazie Ciao Lucio |
|
| Autore: | pedux [ 23/10/2018, 17:48 ] |
| Oggetto del messaggio: | Re: elateride da det. |
Dalopius marginatus
|
|
| Autore: | Edo [ 23/10/2018, 18:37 ] |
| Oggetto del messaggio: | Re: elateride da det. |
È lui
|
|
| Autore: | Agdistis [ 23/10/2018, 18:43 ] |
| Oggetto del messaggio: | Re: elateride da det. |
Grazie ad entrambiCiao Lucio PS: non è l'ultimo ne ho trovati ancora 4 diversi....
|
|
| Pagina 1 di 1 | Tutti gli orari sono UTC + 1 ora [ ora legale ] |
| Powered by phpBB® Forum Software © phpBB Group http://www.phpbb.com/ |
|