Benvenuto Ospite

Forum Entomologi Italiani

www.entomologiitaliani.net/forum
 
Oggi è 23/03/2026, 19:12

Tutti gli orari sono UTC + 1 ora [ ora legale ]

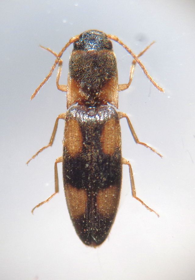
Betarmon bisbimaculatus (Fabricius, 1803) - Elateridae

1.VI.2019 - ITALIA - Emilia-Romagna - RA, Mezzano (ZPS)


nuovo argomento
rispondi
Pagina 1 di 1 [ 5 messaggi ]
Autore Messaggio
MessaggioInviato: 09/01/2020, 22:07 
 

Iscritto il: 08/12/2013, 1:52
Messaggi: 7678
Località: Bagnacavallo (RA)
Nome: Giorgio Pezzi
Ho notato che non compaiono nel Forum esemplari romagnoli e quelli della CKMap sono solo collinari o montani; allora segnalo questo esemplare trovato sfalciando presso una delle vasche della ZPS di mezzano (RA). :hi:
DSC01824.JPG



Top
profilo
MessaggioInviato: 09/01/2020, 23:27 
Avatar utente

Iscritto il: 20/08/2010, 15:09
Messaggi: 550
Località: Ravenna, Italia
Nome: Raffaele Bocchini
Bellissimo elateride mai trovato nè qui da noi nè altrove! Su che pianta si sviluppa?


Top
profilo
MessaggioInviato: 10/01/2020, 8:37 
Avatar utente

Iscritto il: 10/04/2016, 14:33
Messaggi: 1174
Località: Guidonia Montecelio (RM)
Nome: Edoardo Pulvirenti
Ciao! Non credo sia legato a una pianta in particolare. In ogni caso si rinviene in ambienti ripari o nelle immediate vicinanze sfalciando, ombrellando o al lume. :hi:

_________________
”Da un grande potere derivano grandi responsabilità”
-Ben Parker


EDOARDO PULVIRENTI


Top
profilo
MessaggioInviato: 10/01/2020, 11:47 
 

Iscritto il: 08/12/2013, 1:52
Messaggi: 7678
Località: Bagnacavallo (RA)
Nome: Giorgio Pezzi
Semanotus ha scritto:
Bellissimo elateride mai trovato nè qui da noi nè altrove! Su che pianta si sviluppa?

Ciao, in effetti avrei potuto includere anche "ombrellando" poichè stavo battendo col retino alte erbe sotto olmi, ciliegi, prugnoli, frassini ed altro, colpendo anche da sotto i bassi rami di queste essenze; non so quindi su che stava; è piccolo (mm 6 ca) e malgrado appaia diffuso in tutta Italia non l'avevo mai trovato. E' il mio primo esemplare. :hi:


Top
profilo
MessaggioInviato: 19/01/2020, 20:27 
 

Iscritto il: 08/12/2013, 1:52
Messaggi: 7678
Località: Bagnacavallo (RA)
Nome: Giorgio Pezzi
Scusate ma la data esatta dell'esemplare è 1-VI-2019! Misura 5,5 mm. :hi:


Top
profilo
Visualizza ultimi messaggi:  Ordina per  
nuovo argomento
rispondi
Pagina 1 di 1 [ 5 messaggi ]

Tutti gli orari sono UTC + 1 ora [ ora legale ]


Chi c’è in linea

Visitano il forum: Nessuno e 3 ospiti


Non puoi aprire nuovi argomenti
Non puoi rispondere negli argomenti
Non puoi modificare i tuoi messaggi
Non puoi cancellare i tuoi messaggi
Non puoi inviare allegati

Cerca per:
Vai a: