Benvenuto Ospite

Forum Entomologi Italiani

www.entomologiitaliani.net/forum
 
Oggi è 26/01/2026, 15:51

Tutti gli orari sono UTC + 1 ora [ ora legale ]

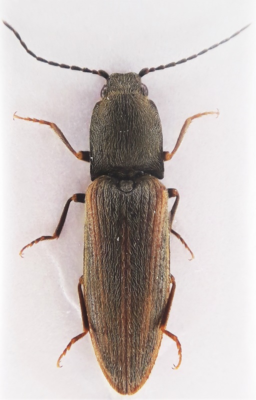
Athous (Haplathous) flavipennis Candèze, 1860 - Elateridae

20.VI.2020 - ITALIA - Toscana - MS, Monte Brugiana


nuovo argomento
rispondi
Pagina 1 di 1 [ 3 messaggi ]
Autore Messaggio
MessaggioInviato: 27/11/2020, 20:16 
Avatar utente

Iscritto il: 22/01/2019, 15:55
Messaggi: 312
Località: Massa (MS)
Nome: Francesco Adamo
Ciao a tutti! Continuo con la serie di Elateridi da determinare. Questo è lungo 10,5 mm. Grazie in anticipo!


20.VI.2020,06.jpg


_________________
Francesco
Top
profilo
 Oggetto del messaggio: Re: Elateridae da identificare 11
MessaggioInviato: 27/11/2020, 20:35 
Avatar utente

Iscritto il: 10/04/2016, 14:33
Messaggi: 1174
Località: Guidonia Montecelio (RM)
Nome: Edoardo Pulvirenti
Ciao! E' un Athous (Haplathous) flavipennis Candèze, 1860 :hi:

_________________
”Da un grande potere derivano grandi responsabilità”
-Ben Parker


EDOARDO PULVIRENTI


Top
profilo
MessaggioInviato: 28/11/2020, 12:39 
Avatar utente

Iscritto il: 22/01/2019, 15:55
Messaggi: 312
Località: Massa (MS)
Nome: Francesco Adamo
Grazie mille! :D :hi:

_________________
Francesco


Top
profilo
Visualizza ultimi messaggi:  Ordina per  
nuovo argomento
rispondi
Pagina 1 di 1 [ 3 messaggi ]

Tutti gli orari sono UTC + 1 ora [ ora legale ]


Chi c’è in linea

Visitano il forum: Nessuno e 1 ospite


Non puoi aprire nuovi argomenti
Non puoi rispondere negli argomenti
Non puoi modificare i tuoi messaggi
Non puoi cancellare i tuoi messaggi
Non puoi inviare allegati

Cerca per:
Vai a: