Benvenuto Ospite

Forum Entomologi Italiani

www.entomologiitaliani.net/forum
 
Oggi è 30/04/2026, 14:50

Tutti gli orari sono UTC + 1 ora [ ora legale ]

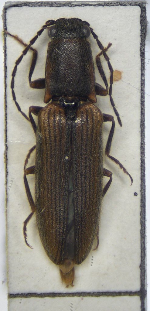
Athous (Orthathous) bicolor (Goeze, 1777) - Elateridae

21.VI.2019 - ITALIA - Lombardia - BS, Cain, val Bertone


nuovo argomento
rispondi
Pagina 1 di 1 [ 3 messaggi ]
Autore Messaggio
MessaggioInviato: 07/12/2020, 18:38 
Avatar utente

Iscritto il: 01/11/2010, 21:21
Messaggi: 2116
Località: Brescia
Nome: Mario Grottolo
Grazie


athous sp..jpg

Top
profilo
 Oggetto del messaggio: Re: Athous da determinare
MessaggioInviato: 07/12/2020, 19:05 
Avatar utente

Iscritto il: 06/02/2009, 9:07
Messaggi: 1502
Località: Val Camonica (BS)
Nome: Davide Pedersoli
Athous bicolor :roll: non mi sembra il vailatii

_________________
Pedux Camuno


Top
profilo
 Oggetto del messaggio: Re: Athous da determinare
MessaggioInviato: 07/12/2020, 21:46 
Avatar utente

Iscritto il: 10/04/2016, 14:33
Messaggi: 1174
Località: Guidonia Montecelio (RM)
Nome: Edoardo Pulvirenti
:ok: :birra:

_________________
”Da un grande potere derivano grandi responsabilità”
-Ben Parker


EDOARDO PULVIRENTI


Top
profilo
Visualizza ultimi messaggi:  Ordina per  
nuovo argomento
rispondi
Pagina 1 di 1 [ 3 messaggi ]

Tutti gli orari sono UTC + 1 ora [ ora legale ]


Chi c’è in linea

Visitano il forum: Abete bianco e 2 ospiti


Non puoi aprire nuovi argomenti
Non puoi rispondere negli argomenti
Non puoi modificare i tuoi messaggi
Non puoi cancellare i tuoi messaggi
Non puoi inviare allegati

Cerca per:
Vai a: