Benvenuto Ospite

Forum Entomologi Italiani

www.entomologiitaliani.net/forum
 
Oggi è 13/03/2026, 12:06

Tutti gli orari sono UTC + 1 ora [ ora legale ]

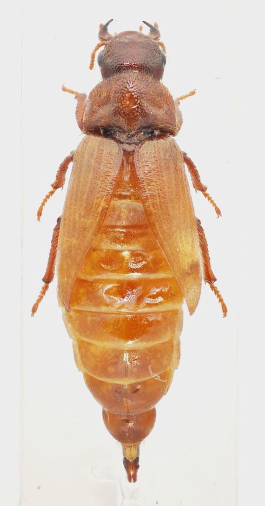
Cebrio (Tibesia) mediatlantis mediatlantis Kocher, 1952 - Elateridae Elaterinae Cebrionini

13.VI.2014 - MAROCCO - EE, Meknès-Tafilalt, 5.4 km a 138° da Ifrane, 1680 m, C. Massarone & G. L. Agnoli leg.


nuovo argomento
rispondi
Pagina 1 di 1 [ 6 messaggi ]
Autore Messaggio
MessaggioInviato: 04/04/2017, 21:27 
Avatar utente

Iscritto il: 02/09/2009, 20:57
Messaggi: 8703
Località: Cagliari
Nome: Roberto Rattu
La fauna cebrionidologica del Marocco è estremamente complessa: sono note tantissime specie, la maggior parte delle quali descritte in maniera troppo 'asciutta', spesso su singoli o pochissimi esemplari. Molte di queste sono assai localizzate: alcune sono ecologicamente legate alle zone desertiche, altre sono note esclusivamente di alcune stazioni di montagna. Tra queste figura Cebrio (Tibesia) mediatlantis mediatlantis, noto di poche località del Medio Atlante, dai 1000 ai 2000 m di quota. È anche una delle poche specie di cui possiedo una lunghissima serie, raccolta da Carlo Massarone e Gian Luca Agnoli. Lunghezza: 14 mm.

DSCN2707.JPG



Top
profilo
MessaggioInviato: 05/04/2017, 10:24 
 

Iscritto il: 03/02/2015, 11:23
Messaggi: 984
Località: Policoro (MT)
Nome: Giuseppe Cancelliere
Hai anche la femmina?


Top
profilo
MessaggioInviato: 05/04/2017, 12:26 
Avatar utente

Iscritto il: 02/09/2009, 20:57
Messaggi: 8703
Località: Cagliari
Nome: Roberto Rattu
Magari, purtroppo no :sick:

:hi:


Top
profilo
MessaggioInviato: 06/01/2021, 22:13 
Avatar utente

Iscritto il: 02/09/2009, 20:57
Messaggi: 8703
Località: Cagliari
Nome: Roberto Rattu
Sono passati alcuni anni e solo ora posso aggiornare la risposta data allora alla domanda del compianto Giuseppe Cancelliere. Le ricerche condotte durante alcune spedizioni in Marocco hanno permesso di conoscere un po' meglio C. mediatlantis mediatlantis a partire proprio dalla femmina, illustrata di seguito, che sino ad ora non era conosciuta. Il contributo che tratta anche altri aspetti è scaricabile qui.

2020-03-16-13.26.57 ZS 1.jpg



Top
profilo
MessaggioInviato: 06/01/2021, 23:51 
Avatar utente

Iscritto il: 10/05/2010, 22:31
Messaggi: 4373
Località: Gavorrano (GR)
Nome: marco bastianini
Complimenti Roberto.
:birra: :hp: :birra: :hp: :birra:

_________________
:to: Marco
"Le foreste a precedere le civiltà, i deserti a seguire."
François-René de Chateaubriand


Top
profilo
MessaggioInviato: 06/01/2021, 23:59 
Avatar utente

Iscritto il: 19/06/2012, 14:35
Messaggi: 5665
Località: Alfonsine (RA)
Nome: Marco Villani
Complimenti Roberto. Bellissimo lavoro!
Marco :hi:


Top
profilo
Visualizza ultimi messaggi:  Ordina per  
nuovo argomento
rispondi
Pagina 1 di 1 [ 6 messaggi ]

Tutti gli orari sono UTC + 1 ora [ ora legale ]


Chi c’è in linea

Visitano il forum: Nessuno e 1 ospite


Non puoi aprire nuovi argomenti
Non puoi rispondere negli argomenti
Non puoi modificare i tuoi messaggi
Non puoi cancellare i tuoi messaggi
Non puoi inviare allegati

Cerca per:
Vai a: