Benvenuto Ospite

Forum Entomologi Italiani

www.entomologiitaliani.net/forum
 
Oggi è 24/05/2026, 16:37

Tutti gli orari sono UTC + 1 ora [ ora legale ]

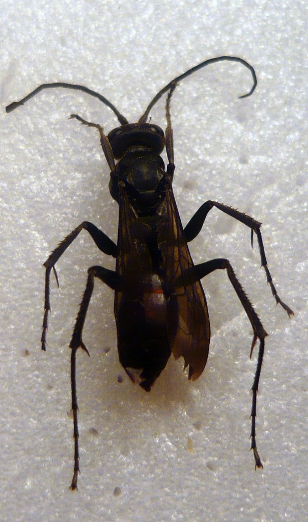
Cryptocheilus sp. - Pompilidae - Marche

8.X.2010 - ITALIA - Marche - PU, Pesaro


nuovo argomento
rispondi
Pagina 1 di 1 [ 3 messaggi ]
Autore Messaggio
MessaggioInviato: 12/10/2010, 10:09 
Avatar utente

Iscritto il: 11/11/2009, 20:54
Messaggi: 4857
Località: Pesaro
Nome: Marco Paglialunga
Pitt fall aceto Pesaro 8/10/10
...forse serviva una foto laterale :(
12 mm


P1050274.JPG

P1050394.JPG

P1050396.JPG

P1050397.JPG


_________________
O voi ch'avete li 'ntelletti sani, mirate la dottrina che s'asconde sotto 'l velame de li versi strani
(InfeRRno - canto IX - vv. 61-63)
Top
profilo
 Oggetto del messaggio: Re: Pompilidae
MessaggioInviato: 12/10/2010, 10:13 
Avatar utente

Iscritto il: 06/02/2009, 9:02
Messaggi: 1429
Località: Verona - Roma - Foggia e sporadicamente Padova
Nome: Filippo Di Giovanni
marco paglialunga ha scritto:
...forse serviva una foto laterale


Forse serve uno specialista...

_________________
"Non posso separare il piacere estetico che provo nel vedere una farfalla dal piacere scientifico di sapere che cosa è" (V.Nabokov)


Top
profilo
 Oggetto del messaggio: Re: Pompilidae
MessaggioInviato: 12/10/2010, 17:45 
 

Iscritto il: 06/02/2009, 9:05
Messaggi: 2590
Località: Alghero
Nome: Pietro Niolu
Sottofamiglia Pepsinae, genere Cryptocheilus.
I primi tergiti sembrano rossi, potrebbe essere un Cryptocheilus egregius ma senza certezza.

_________________
Ciao
Pietro


Top
profilo
Visualizza ultimi messaggi:  Ordina per  
nuovo argomento
rispondi
Pagina 1 di 1 [ 3 messaggi ]

Tutti gli orari sono UTC + 1 ora [ ora legale ]


Chi c’è in linea

Visitano il forum: Nessuno e 1 ospite


Non puoi aprire nuovi argomenti
Non puoi rispondere negli argomenti
Non puoi modificare i tuoi messaggi
Non puoi cancellare i tuoi messaggi
Non puoi inviare allegati

Cerca per:
Vai a: