Benvenuto Ospite

Forum Entomologi Italiani

www.entomologiitaliani.net/forum
 
Oggi è 31/01/2026, 19:51

Tutti gli orari sono UTC + 1 ora [ ora legale ]

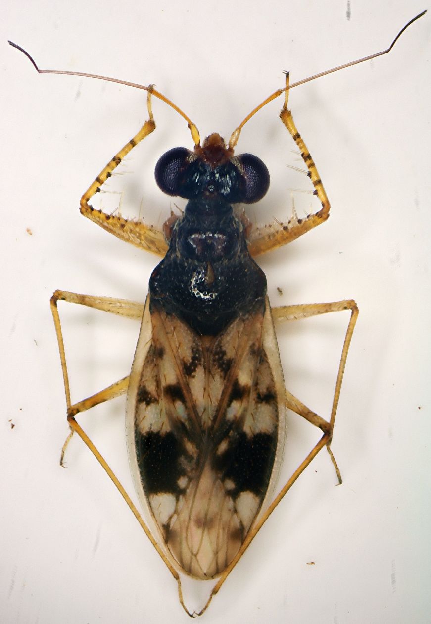
Leptopus hispanus Rambur, 1840 - Leptopodidae

2.XII.2012 - ITALIA - Emilia-Romagna - BO, Sasso Marconi - Palazzo Rossi


nuovo argomento
rispondi
Pagina 1 di 1 [ 5 messaggi ]
Autore Messaggio
MessaggioInviato: 08/12/2012, 22:58 
Avatar utente

Iscritto il: 05/02/2009, 17:25
Messaggi: 4894
Località: Zola Predosa (BO)
Nome: Loris Colacurcio
La scorsa settimana ho fatto una velocissima capatina a Palazzo Rossi, prime colline bolognesi e voltando dei sassi poco lontano del fiume, ho notato alcuni gruppetti di questo curioso heterottero, dall'elegantissima livrea.

Mi ha colpito particolarmente il suo temibile apparato boccale....

Lunghezza: sui 4 mm.

AA Heterott1 ROSSI.JPG



AA Heterott2 ROSSI.JPG


_________________
Loris


Top
profilo
 Oggetto del messaggio: Re: Heterottero ripicolo
MessaggioInviato: 08/12/2012, 23:10 
Avatar utente

Iscritto il: 24/04/2010, 8:24
Messaggi: 5095
Nome: Lucio Morin
assomiglia a Patapius spinosus (Rossi, 1790) ma manca di un pò di spine sul torace ? ex vecchio?
Ciao Lucio

_________________
A VOLTE E' MEGLIO TACERE E SEMBRARE STUPIDI CHE APRIR BOCCA E TOGLIERE OGNI DUBBIO Oscar Wilde


Top
profilo
 Oggetto del messaggio: Re: Heterottero ripicolo
MessaggioInviato: 08/12/2012, 23:24 
Avatar utente

Iscritto il: 17/02/2009, 0:05
Messaggi: 8521
Località: Isola d'Elba - Arcipelago Toscano
Nome: Leonardo Forbicioni
Giusto Leptopodidae.
Mancano completamente le spine sugli occhi....e poi il rostro dovrebbe essere piuttosto tipico.
In attesa degli esperti......
Leptopus hispanus Rambur, 1840 ;)

_________________
"Stay hungry, stay foolish".
Steve Jobs, 2005
___________________
jjuniper8(at)gmail.com
Twitter: @weevil_forbix
cell. 339/5275910
___________________


Top
profilo
 Oggetto del messaggio: Re: Heterottero ripicolo
MessaggioInviato: 08/12/2012, 23:38 
Avatar utente

Iscritto il: 24/04/2010, 8:24
Messaggi: 5095
Nome: Lucio Morin
:ok: concordo con Leonardo: L. hispanus
Ciao Lucio

_________________
A VOLTE E' MEGLIO TACERE E SEMBRARE STUPIDI CHE APRIR BOCCA E TOGLIERE OGNI DUBBIO Oscar Wilde


Top
profilo
 Oggetto del messaggio: Re: Heterottero ripicolo
MessaggioInviato: 08/12/2012, 23:40 
Avatar utente

Iscritto il: 28/05/2009, 16:38
Messaggi: 5058
Nome: luigi lenzini
Anch'io l'ho trovato sotto una pietra, mentre i Patapius li trovo sotto le cortecce degli eucalipti.
:hi: luigi


Top
profilo
Visualizza ultimi messaggi:  Ordina per  
nuovo argomento
rispondi
Pagina 1 di 1 [ 5 messaggi ]

Tutti gli orari sono UTC + 1 ora [ ora legale ]


Chi c’è in linea

Visitano il forum: Nessuno e 1 ospite


Non puoi aprire nuovi argomenti
Non puoi rispondere negli argomenti
Non puoi modificare i tuoi messaggi
Non puoi cancellare i tuoi messaggi
Non puoi inviare allegati

Cerca per:
Vai a: