Benvenuto Ospite

Forum Entomologi Italiani

www.entomologiitaliani.net/forum
 
Oggi è 26/03/2026, 20:58

Tutti gli orari sono UTC + 1 ora [ ora legale ]

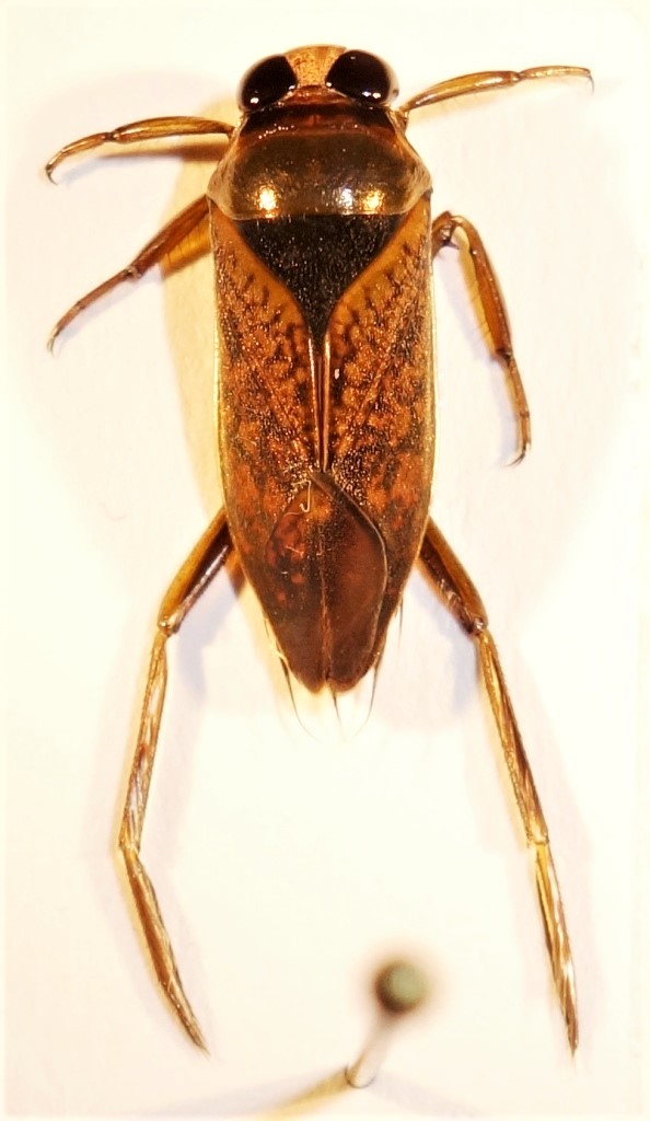
Notonecta (Notonecta) maculata Fabricius, 1794 - Notonectidae

6.IX.2020 - ITALIA - Sardegna - CA, Santadi - Pantaleo foresta - G.Ruzzante legit


nuovo argomento
rispondi
Pagina 1 di 1 [ 4 messaggi ]
Autore Messaggio
MessaggioInviato: 13/09/2020, 10:13 
Avatar utente

Iscritto il: 23/06/2010, 11:11
Messaggi: 2784
Località: Cagliari
Nome: Gianpaolo Ruzzante
mm 15 :hi:


mm 15.JPG

Top
profilo
 Oggetto del messaggio: Re: Hemittero acquatico
MessaggioInviato: 13/09/2020, 23:20 
Avatar utente

Iscritto il: 08/07/2011, 11:32
Messaggi: 573
Località: Piacenza
Nome: Mario Toledo
Notonoecta sp. Mi azzardo a dire N. maculata Fabricius


Top
profilo
 Oggetto del messaggio: Re: Hemittero acquatico
MessaggioInviato: 15/09/2020, 0:05 
Avatar utente

Iscritto il: 31/12/2009, 1:47
Messaggi: 951
Località: Bellano (LC)
Nome: Martino Salvetti
sembrerebbe lei..


Top
profilo
 Oggetto del messaggio: Re: Hemittero acquatico
MessaggioInviato: 18/09/2020, 22:34 
Avatar utente

Iscritto il: 23/06/2010, 11:11
Messaggi: 2784
Località: Cagliari
Nome: Gianpaolo Ruzzante
Grazie a voi per la determinazione :hi:


Top
profilo
Visualizza ultimi messaggi:  Ordina per  
nuovo argomento
rispondi
Pagina 1 di 1 [ 4 messaggi ]

Tutti gli orari sono UTC + 1 ora [ ora legale ]


Chi c’è in linea

Visitano il forum: Nessuno e 3 ospiti


Non puoi aprire nuovi argomenti
Non puoi rispondere negli argomenti
Non puoi modificare i tuoi messaggi
Non puoi cancellare i tuoi messaggi
Non puoi inviare allegati

Cerca per:
Vai a: