Forum Entomologi Italiani
https://www.entomologiitaliani.net/public/forum/phpBB3/

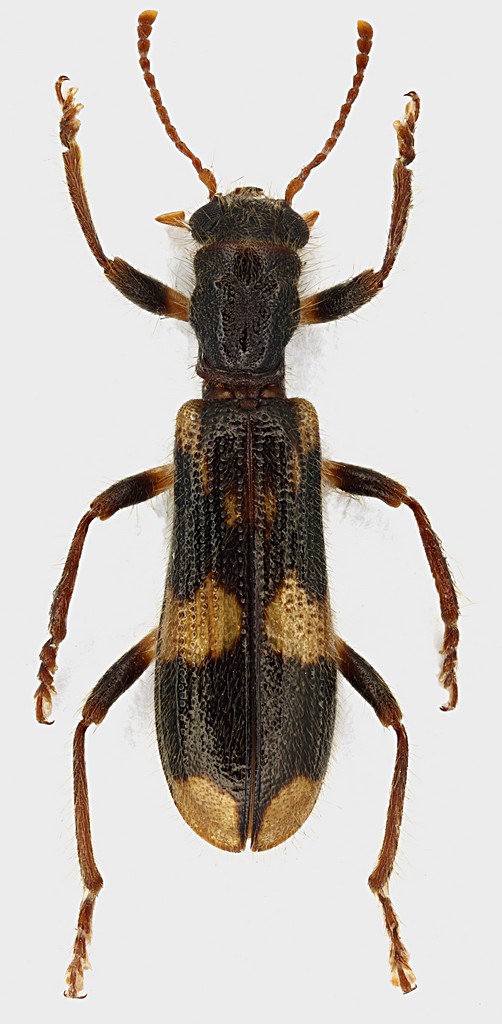
Opilo mollis (Linnaeus, 1758) - Cleridae
https://www.entomologiitaliani.net/public/forum/phpBB3/viewtopic.php?f=290&t=76239
Pagina 1 di 1

Autore:  Julodis [ 31/07/2017, 23:17 ]
Oggetto del messaggio:  Opilo mollis (Linnaeus, 1758) - Cleridae

Opilo mollis (Linnaeus, 1758)

Non avevo ancora fotografato nessun Opilo. Inizio con questo recente esemplare della specie più comune.

Lazio, Roma, Segni, gruppo del Monte Lupone, 900 m, 8.VI-7.VII.2017, M. Gigli legit
11,5 mm

Opilo_mollis_Monte_Lupone_VI-2017_11.5mm_grey.jpg


Pagina 1 di 1 Tutti gli orari sono UTC + 1 ora [ ora legale ]
Powered by phpBB® Forum Software © phpBB Group
http://www.phpbb.com/