Benvenuto Ospite

Forum Entomologi Italiani

www.entomologiitaliani.net/forum
 
Oggi è 30/03/2026, 11:17

Tutti gli orari sono UTC + 1 ora [ ora legale ]

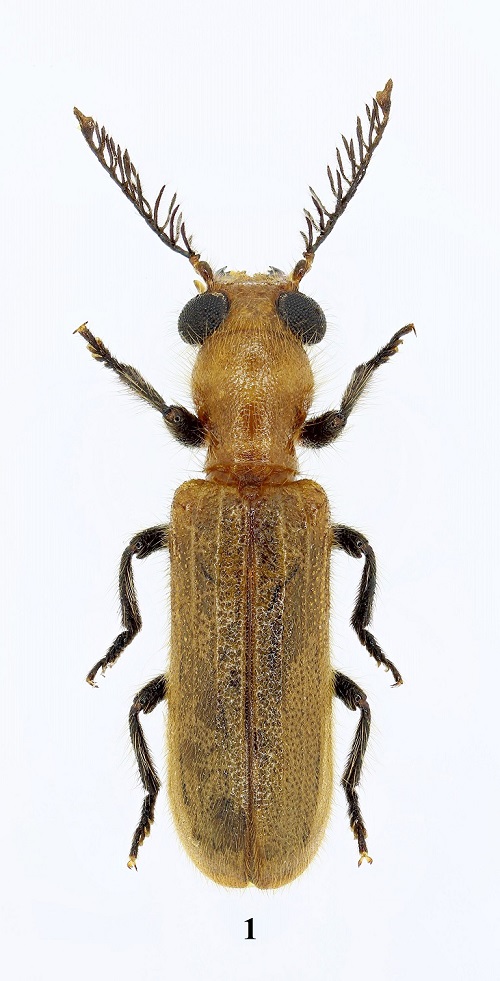
Paradoxocerus massaronei Zappi, 2018 - Cleridae - Holotypus (con descrizione)

XII.2013 - GABON - EE, GABON, Ogooue' Ivindo, P. N. Ivindo, Station de Recherche d'Ipassa, 500 m, 3-14.XII.2013, C. Massarone leg.


nuovo argomento
rispondi
Vai alla pagina 1, 2  Prossimo
Pagina 1 di 2 [ 17 messaggi ]
Autore Messaggio
MessaggioInviato: 01/06/2018, 16:25 
Avatar utente

Iscritto il: 18/06/2009, 16:54
Messaggi: 1093
Località: Casalecchio di Reno (BO)
Nome: Iuri Zappi
Certe volte le coincidenze!
Oggi è il compleanno di Carlo Massarone (il nostro Sleepy Moose).
Proprio oggi è uscito un mio articolo in cui descrivo una nuova specie che Carlo ha raccolto in Gabon 5 anni fa e che gli ho voluto dedicare.
Non gli ho ancora detto nulla!! :lol: :lol:
Spero sia una gradita sorpresa! :lol1:
Purtroppo, pur avendo scoperto che si trattava di una specie nuova il giorno successivo a quando ho ricevuto l'esemplare, ho impiegato 4 anni per fare tutte le verifiche necessarie e scrivere l'articolo! :oops: :oops:
Vorrei anche qui ringraziare Silvano Biondi, Claudio Deiaco e Maurizio Pavesi che mi hanno fornito esemplari di 2 specie che non erano ancora state segnalate per il Gabon e che vengono citate in questo lavoro.
Ma quanto ancora poco sappiamo di certe zone del pianeta????!!!! Miniere immense di specie nuove e dati inediti!
Allego una foto dell'olotipo e anche l'articolo in pdf.


Paradoxocerus massaronei - Sopra - light.jpg



Zappi 2018-Paradoxocerus massaronei-vol13issue2-5939752.pdf [341.5 KiB]
Scaricato 231 volte

_________________
:hi: :hi: :hi:
Iuri
Top
profilo
MessaggioInviato: 01/06/2018, 16:50 
Avatar utente

Iscritto il: 05/02/2009, 17:47
Messaggi: 7252
Località: Cagliari
Nome: Piero Leo
Grande Iuri!
:birra: :birra: :birra:

:) Ciao
Piero


Top
profilo
MessaggioInviato: 01/06/2018, 17:28 
 

Iscritto il: 14/04/2011, 12:21
Messaggi: 875
Nome: Rinaldo Nicoli Aldini
Complimenti e un cordiale saluto, eccellenti le foto

Nicarinus


Top
profilo
MessaggioInviato: 01/06/2018, 17:33 
Avatar utente

Iscritto il: 22/12/2009, 13:31
Messaggi: 9646
Località: Napoli
Nome: Francesco Izzillo
Ciao Iuri, complimenti! :birra:

_________________
Francesco Izzillo


Top
profilo
MessaggioInviato: 01/06/2018, 17:39 
Avatar utente

Iscritto il: 10/05/2010, 22:31
Messaggi: 4375
Località: Gavorrano (GR)
Nome: marco bastianini
:hp: Complimenti :hp: Complimenti :hp: Complimenti :hp:
:birra: :birra: :birra: :birra: :birra: :birra:

_________________
:to: Marco
"Le foreste a precedere le civiltà, i deserti a seguire."
François-René de Chateaubriand


Top
profilo
MessaggioInviato: 01/06/2018, 18:03 
Avatar utente

Iscritto il: 10/04/2016, 14:33
Messaggi: 1174
Località: Guidonia Montecelio (RM)
Nome: Edoardo Pulvirenti
:birra:

_________________
”Da un grande potere derivano grandi responsabilità”
-Ben Parker


EDOARDO PULVIRENTI


Top
profilo
MessaggioInviato: 01/06/2018, 19:08 
Avatar utente

Iscritto il: 21/05/2010, 23:05
Messaggi: 2984
Località: San Godenzo (FI)
Nome: Carlo Massarone
SUPERGRAZIE!!!!!!!!!!!!!!!
Bellissima e graditissima sorpresa!
:hi:
Quando torno dalla Francia mi leggerò per bene l'articolo.

_________________
Carlo Massarone


Top
profilo
MessaggioInviato: 01/06/2018, 23:58 
Avatar utente

Iscritto il: 20/08/2010, 15:09
Messaggi: 550
Località: Ravenna, Italia
Nome: Raffaele Bocchini
Grande Iuri, complimenti :birra: E al raccoglitore Carlo, naturalmente , oltre agli auguri di buon compleanno
Raffaele :hi:


Top
profilo
MessaggioInviato: 02/06/2018, 7:38 
Avatar utente

Iscritto il: 08/02/2010, 23:01
Messaggi: 6188
Località: Vicenza
Nome: Silvano Biondi
:hp: :hp: :hp:

_________________



Silvano


Top
profilo
MessaggioInviato: 02/06/2018, 9:30 
Avatar utente

Iscritto il: 06/02/2009, 9:03
Messaggi: 6379
Località: Bubano di Mordano (Bologna)
Nome: Augusto Degiovanni
Complimenti Iuri, bel lavoro e ottima coincidenza ! :birra: :birra: :birra:

_________________
CIAO :hi: Augusto Degiovanni

http://anthicidaeecarabidae.altervista.org


Top
profilo
MessaggioInviato: 02/06/2018, 11:37 
Avatar utente

Iscritto il: 21/05/2009, 14:59
Messaggi: 6995
Località: Parigi
Nome: Riccardo Poloni
Complimenti a te Iuri e un grande augurio a Carlo!! Tutti gli entomologi vorrebbero un compleanno così!

_________________
Riccardo Poloni
La dignità degli elementi
la libertà della poesia,
al di là dei tradimenti degli uomini
è magia, è magia, è magia...
Negrita, Rotolando verso sud


Top
profilo
MessaggioInviato: 02/06/2018, 14:59 
Avatar utente

Iscritto il: 18/06/2009, 16:54
Messaggi: 1093
Località: Casalecchio di Reno (BO)
Nome: Iuri Zappi
Grazie mille per i complimenti e invio a ciascuno un fortissimo abbraccio!

_________________
:hi: :hi: :hi:
Iuri


Top
profilo
MessaggioInviato: 03/06/2018, 7:50 
Avatar utente

Iscritto il: 26/03/2010, 14:55
Messaggi: 5992
Località: Romania
Nome: Cosmin-Ovidiu Manci
Complimenti Iuri e complimenti anche a Carlo !!!!

:hi:

_________________
Cosmin-Ovidiu Manci
**********************
cosmln's place - my blog
just insects
Dragonflies of Romania


Top
profilo
MessaggioInviato: 05/06/2018, 15:36 
Avatar utente

Iscritto il: 18/06/2009, 16:54
Messaggi: 1093
Località: Casalecchio di Reno (BO)
Nome: Iuri Zappi
cosmln ha scritto:
Complimenti Iuri e complimenti anche a Carlo !!!!

:hi:


Ti ringrazio Cosmin! :birra:

_________________
:hi: :hi: :hi:
Iuri


Top
profilo
MessaggioInviato: 07/06/2018, 7:20 
Avatar utente

Iscritto il: 30/12/2009, 22:20
Messaggi: 31564
Località: Roma
Nome: Maurizio Gigli
Mi associo ai complimenti per entrambi

_________________
Maurizio Gigli
http://utenti.romascuola.net/bups
http://bup.xoom.it/


Top
profilo
Visualizza ultimi messaggi:  Ordina per  
nuovo argomento
rispondi
Vai alla pagina 1, 2  Prossimo
Pagina 1 di 2 [ 17 messaggi ]

Tutti gli orari sono UTC + 1 ora [ ora legale ]


Chi c’è in linea

Visitano il forum: Nessuno e 1 ospite


Non puoi aprire nuovi argomenti
Non puoi rispondere negli argomenti
Non puoi modificare i tuoi messaggi
Non puoi cancellare i tuoi messaggi
Non puoi inviare allegati

Cerca per:
Vai a: