Benvenuto Ospite

Forum Entomologi Italiani

www.entomologiitaliani.net/forum
 
Oggi è 21/05/2026, 10:35

Tutti gli orari sono UTC + 1 ora [ ora legale ]

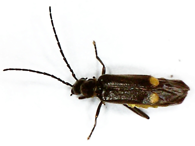
Malthodes sp. - Cantharidae

21.VII.2013 - SVIZZERA - EE, Cademario 792 m. slm. Ticino


nuovo argomento
rispondi
Pagina 1 di 1 [ 4 messaggi ]
Autore Messaggio
 Oggetto del messaggio: Malthodes sp. - Cantharidae
MessaggioInviato: 22/07/2013, 19:12 
Avatar utente

Iscritto il: 10/04/2012, 21:45
Messaggi: 873
Località: Lugano (Ti/CH)
Nome: Mattia Bianchini
Bosco misto, sopra foglie di Corylus avellana.

Lunghezza senza antenne: 5 mm..

Grazie, :hi:
5.jpg



3.jpg

2.jpg

1.jpg

4.jpg

6.jpg

Top
profilo
 Oggetto del messaggio: Re: Coleoptera da ID
MessaggioInviato: 22/07/2013, 20:08 
Avatar utente

Iscritto il: 10/04/2012, 21:45
Messaggi: 873
Località: Lugano (Ti/CH)
Nome: Mattia Bianchini
Forse: Oedemera sp. ?

:hi:


Top
profilo
 Oggetto del messaggio: Re: Coleoptera da ID
MessaggioInviato: 22/07/2013, 20:13 
 

Iscritto il: 24/03/2010, 12:42
Messaggi: 1458
Nome: Lech Borowiec
Cantharidae, genus Malthodes:
http://www.colpolon.biol.uni.wroc.pl/malthodes.htm


Top
profilo
 Oggetto del messaggio: Re: Coleoptera da ID
MessaggioInviato: 22/07/2013, 20:16 
Avatar utente

Iscritto il: 10/04/2012, 21:45
Messaggi: 873
Località: Lugano (Ti/CH)
Nome: Mattia Bianchini
Grazie, :hi:


Top
profilo
Visualizza ultimi messaggi:  Ordina per  
nuovo argomento
rispondi
Pagina 1 di 1 [ 4 messaggi ]

Tutti gli orari sono UTC + 1 ora [ ora legale ]


Chi c’è in linea

Visitano il forum: Nessuno e 1 ospite


Non puoi aprire nuovi argomenti
Non puoi rispondere negli argomenti
Non puoi modificare i tuoi messaggi
Non puoi cancellare i tuoi messaggi
Non puoi inviare allegati

Cerca per:
Vai a: