Benvenuto Ospite

Forum Entomologi Italiani

www.entomologiitaliani.net/forum
 
Oggi è 21/05/2026, 13:58

Tutti gli orari sono UTC + 1 ora [ ora legale ]

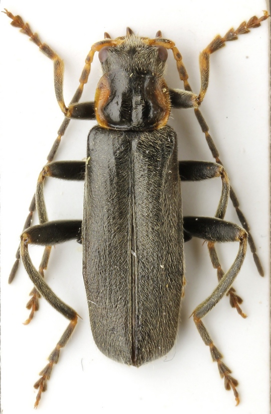
Cantharis (Cantharis) monacha Moscardini, 1962 - Cantharidae

30.V.2011 - ITALIA - Sicilia - ME, Parco dei Nebrodi


nuovo argomento
rispondi
Pagina 1 di 1 [ 5 messaggi ]
Autore Messaggio
MessaggioInviato: 25/06/2015, 21:15 
 

Iscritto il: 25/03/2015, 15:12
Messaggi: 167
Località: Czech Rep.
Nome: Frantisek Houska
Can it be determined? I have only C. obscura looking like this, but this must be something else (aedeagus dorsal).
Size 9 mm.
:hi:

IMG_3099.JPG

IMG_3098.JPG



Top
profilo
 Oggetto del messaggio: Re: Cantharis sp.
MessaggioInviato: 26/06/2015, 10:45 
 
Cantharis (Cantharis) monacha Moscardini, 1962

very pretty with their front legs and antennae girdled... I do not never see this form but is cited


Top
 Oggetto del messaggio: Re: Cantharis sp.
MessaggioInviato: 26/06/2015, 20:11 
 

Iscritto il: 25/03/2015, 15:12
Messaggi: 167
Località: Czech Rep.
Nome: Frantisek Houska
Great, thank you!!! I will give you at least a female, send it to Modena.

:hp: :birra:


Top
profilo
 Oggetto del messaggio: Re: Cantharis sp.
MessaggioInviato: 26/06/2015, 20:59 
 
woow thank you very kind

if you have a bit of this form, a copy pleases me, but if you only have one pair no ... maybe being an endemic Italian can also find me...sooner or later


Top
 Oggetto del messaggio: Re: Cantharis sp.
MessaggioInviato: 26/06/2015, 21:18 
 

Iscritto il: 25/03/2015, 15:12
Messaggi: 167
Località: Czech Rep.
Nome: Frantisek Houska
no problem, I have two females :)


Top
profilo
Visualizza ultimi messaggi:  Ordina per  
nuovo argomento
rispondi
Pagina 1 di 1 [ 5 messaggi ]

Tutti gli orari sono UTC + 1 ora [ ora legale ]


Chi c’è in linea

Visitano il forum: Nessuno e 1 ospite


Non puoi aprire nuovi argomenti
Non puoi rispondere negli argomenti
Non puoi modificare i tuoi messaggi
Non puoi cancellare i tuoi messaggi
Non puoi inviare allegati

Cerca per:
Vai a: