Benvenuto Ospite

Forum Entomologi Italiani

www.entomologiitaliani.net/forum
 
Oggi è 25/12/2025, 6:30

Tutti gli orari sono UTC + 1 ora [ ora legale ]

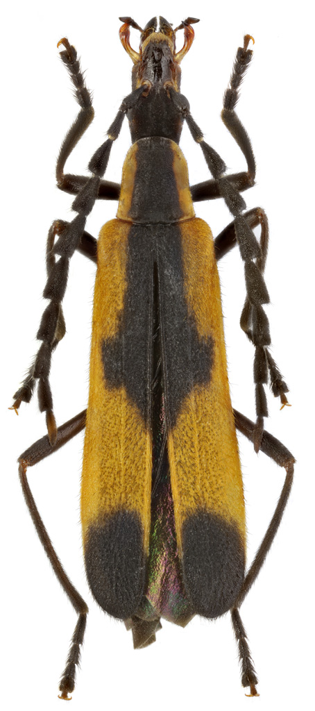
Chauliognathus sp. - Cantharidae - Peru

17.XI.2016 - PERU - EE, Peru, Junin dept., Satipo prov., near Rio Venado, h=1000 - 1100 m.


nuovo argomento
rispondi
Pagina 1 di 1 [ 3 messaggi ]
Autore Messaggio
MessaggioInviato: 09/07/2020, 19:54 
 

Iscritto il: 01/05/2020, 0:49
Messaggi: 53
Nome: Maxim Smirnov
Help please with this interesting beetle :roll: I believe it`s some Cantharidae member but.. there may be surprises :)
~11 mm.


Cantharidae.jpg

Top
profilo
 Oggetto del messaggio: Re: Cantharidae - Peru
MessaggioInviato: 09/07/2020, 20:29 
Avatar utente

Iscritto il: 16/02/2009, 23:39
Messaggi: 1368
Località: Mirano (Venezia)
Nome: Enrico Ruzzier
Chauliognathus sp.

:hi:

_________________
«Discendiamo da scimmie evolute, non da angeli caduti» Robert Ardrey


Top
profilo
 Oggetto del messaggio: Re: Cantharidae - Peru
MessaggioInviato: 09/07/2020, 21:26 
 

Iscritto il: 01/05/2020, 0:49
Messaggi: 53
Nome: Maxim Smirnov
Thank You! :hi:
However it`s very peculiar "Lycoid-shape" species as far as I can judge by numerous photos of another Chauliognathus into web. They are very different in general.


Top
profilo
Visualizza ultimi messaggi:  Ordina per  
nuovo argomento
rispondi
Pagina 1 di 1 [ 3 messaggi ]

Tutti gli orari sono UTC + 1 ora [ ora legale ]


Chi c’è in linea

Visitano il forum: Nessuno e 1 ospite


Non puoi aprire nuovi argomenti
Non puoi rispondere negli argomenti
Non puoi modificare i tuoi messaggi
Non puoi cancellare i tuoi messaggi
Non puoi inviare allegati

Cerca per:
Vai a:  
cron