Forum Entomologi Italiani
https://www.entomologiitaliani.net/public/forum/phpBB3/

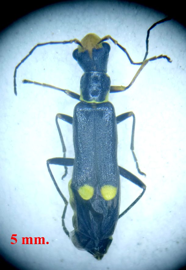
Malthinus sp. - Cantharidae
https://www.entomologiitaliani.net/public/forum/phpBB3/viewtopic.php?f=291&t=102385
Pagina 1 di 1

Autore:  Pietro Niolu [ 16/05/2023, 13:14 ]
Oggetto del messaggio:  Malthinus sp. - Cantharidae

Malthinus scriptus?

1.jpg


2.jpg


D +.jpg


V.jpg


F.jpg


TP.jpg


F.jpg



Allegati:
E.jpg


Pagina 1 di 1 Tutti gli orari sono UTC + 1 ora [ ora legale ]
Powered by phpBB® Forum Software © phpBB Group
http://www.phpbb.com/