Forum Entomologi Italiani
https://www.entomologiitaliani.net/public/forum/phpBB3/

Cantaromorphus longipes Fiori, 1914 - Cantharidae
https://www.entomologiitaliani.net/public/forum/phpBB3/viewtopic.php?f=291&t=106806
Pagina 1 di 1

Autore:  Chalybion [ 05/07/2025, 21:09 ]
Oggetto del messaggio:  Cantaromorphus longipes Fiori, 1914 - Cantharidae

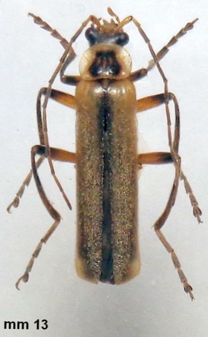
Questa è proprio una "chicca" pare, una rara specie nota sinora solo di Sicilia come detto qui https://www.researchgate.net/publicatio ... antharinae e con reperti noti di Madonie e Nebrodi. La presente località estende l'areale più a sud. Reperito "falciando" col retino la vegetazione di un prato non distante dalla strada per l'area attrezzata "Canalazzo". Foto di questo esemplare sono state inviate a Fabrizio Fanti che ha confermato la specie da me solo sospettata poichè non avevo altri esemplari di riferimento. Caratteristici sono la testa ristretta dietro gli occhi (come nei Podabrus), occhi molto prominenti, la macchia scura toracica con tre macchiette gialle, sutura oscurata e le zampe bicolori.
:hi:
DSC04338.JPG



Allegati:
DSC04337.JPG

DSC04335.JPG

DSC04334.JPG


Pagina 1 di 1 Tutti gli orari sono UTC + 1 ora [ ora legale ]
Powered by phpBB® Forum Software © phpBB Group
http://www.phpbb.com/