| Forum Entomologi Italiani https://www.entomologiitaliani.net/public/forum/phpBB3/ |
|
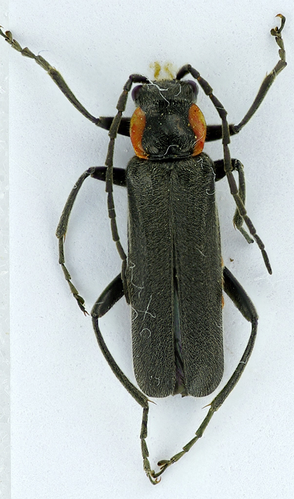
| Cantharis (Cantharis) obscura Linnaeus, 1758 https://www.entomologiitaliani.net/public/forum/phpBB3/viewtopic.php?f=291&t=20219 |
Pagina 1 di 1 |
| Autore: | Sleepy Moose [ 10/04/2011, 21:02 ] |
| Oggetto del messaggio: | Cantharis (Cantharis) obscura Linnaeus, 1758 |
Credo sia un Oedemeridae. IT - TOSCANA m. 430 Dicomano (FI) - pressi loc. Borghetto N. 43°54'02.6" E.11°32'22.2" 06.IV.2011 C. Massarone leg. lungh. mm. 9 circa |
|
| Autore: | krep [ 10/04/2011, 22:07 ] |
| Oggetto del messaggio: | Re: Oedemeride |
Cantharidae, probably genus Cantharis |
|
| Autore: | Sleepy Moose [ 10/04/2011, 22:12 ] |
| Oggetto del messaggio: | Re: Oedemeride |
Thank You, Petr.
|
|
| Autore: | hutia [ 11/04/2011, 8:54 ] |
| Oggetto del messaggio: | Re: Oedemeride |
Cantharis obscura semplice appassionato Fabrizio |
|
| Autore: | Sleepy Moose [ 11/04/2011, 13:32 ] |
| Oggetto del messaggio: | Re: Oedemeride |
Grazie Fabrizio.
|
|
| Pagina 1 di 1 | Tutti gli orari sono UTC + 1 ora [ ora legale ] |
| Powered by phpBB® Forum Software © phpBB Group http://www.phpbb.com/ |
|