| Forum Entomologi Italiani https://www.entomologiitaliani.net/public/forum/phpBB3/ |
|
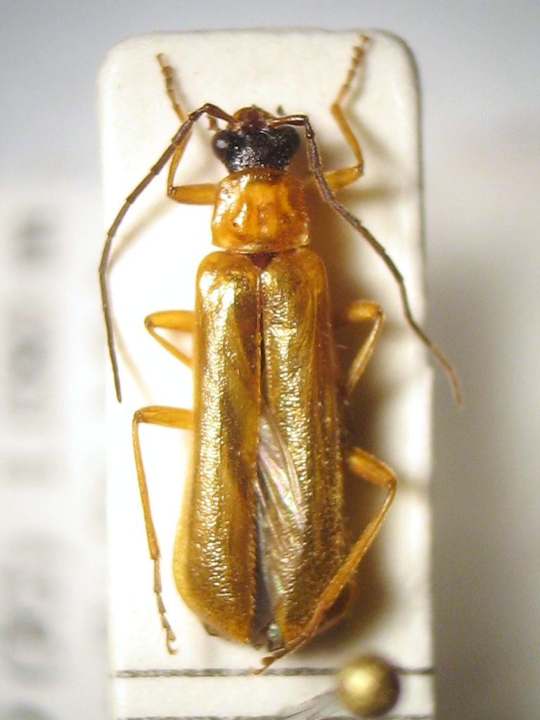
| Rhagonycha (Rhagonycha) nigriceps (Waltl, 1838) - Cantharidae Cantharinae https://www.entomologiitaliani.net/public/forum/phpBB3/viewtopic.php?f=291&t=49222 |
Pagina 1 di 1 |
| Autore: | Valerio [ 20/11/2013, 13:56 ] |
| Oggetto del messaggio: | Rhagonycha (Rhagonycha) nigriceps (Waltl, 1838) - Cantharidae Cantharinae |
sapete dirmi di che specie si tratta? L.= 9 mm |
|
| Autore: | hutia [ 20/11/2013, 17:14 ] |
| Oggetto del messaggio: | Re: Cantharis sp. |
certo che lo sappiamo
|
|
| Autore: | Valerio [ 20/11/2013, 20:26 ] |
| Oggetto del messaggio: | Re: Cantharis sp. |
e allora? |
|
| Autore: | hutia [ 20/11/2013, 21:55 ] |
| Oggetto del messaggio: | Re: Cantharis sp. |
Rhagonycha (Rh.) nigriceps (Waltl, 1838) |
|
| Autore: | Valerio [ 21/11/2013, 0:47 ] |
| Oggetto del messaggio: | Re: Rhagonycha (Rhagonycha) nigriceps (Waltl, 1838) - Cantharidae Cantharinae |
hutia ha scritto: Rhagonycha (Rh.) nigriceps (Waltl, 1838) Ecco perchè non la trovavo, non c'è sul forum e neanche su un altro sito che ho usato. Grazie mille. A domani per un altro paio di Cantaridi
|
|
| Pagina 1 di 1 | Tutti gli orari sono UTC + 1 ora [ ora legale ] |
| Powered by phpBB® Forum Software © phpBB Group http://www.phpbb.com/ |
|