Forum Entomologi Italiani
https://www.entomologiitaliani.net/public/forum/phpBB3/

Cantharis decipiens (cf.) - Cantharidae
https://www.entomologiitaliani.net/public/forum/phpBB3/viewtopic.php?f=291&t=53381
Pagina 1 di 2

Autore:  francescoparisi [ 09/05/2014, 14:14 ]
Oggetto del messaggio:  Cantharis decipiens (cf.) - Cantharidae

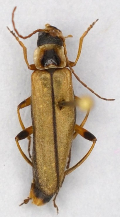
Sei esemplari di Cantharidae campani (Parco del Cilento) in trappole aeree.
Dimensioni: 11mm

Allegati:
DSC_0009.JPG


Autore:  hutia [ 09/05/2014, 16:20 ]
Oggetto del messaggio:  Re: ID Cantharidae, Cantharis decipiens ????

vedendo le unghie posso determinartelo con sicurezza cosi no

Autore:  francescoparisi [ 12/05/2014, 14:48 ]
Oggetto del messaggio:  Re: ID Cantharidae, Cantharis decipiens ????

Ho fatto dei particolari delle zampe spero sia sufficiente.

Allegati:
DSC_0008.JPG

DSC_0005.JPG


Autore:  hutia [ 12/05/2014, 16:20 ]
Oggetto del messaggio:  Re: ID Cantharidae, Cantharis decipiens ????

unghie, ho detto unghie :mrgreen: :mrgreen:

Autore:  francescoparisi [ 12/05/2014, 16:25 ]
Oggetto del messaggio:  Re: ID Cantharidae, Cantharis decipiens ????

Eh avevo capito ma non riesco con i miei potenti mezzi ;)
Se mi dici cosa devo guardare ci provo io al microscopio e ti riferisco !! scusami :lov2:

Autore:  hutia [ 12/05/2014, 18:40 ]
Oggetto del messaggio:  Re: ID Cantharidae, Cantharis decipiens ????

zampe anteriori quante unghie vedi? presenza o meno di dente basale? sutura elitrale nera o no?

Autore:  francescoparisi [ 13/05/2014, 10:17 ]
Oggetto del messaggio:  Re: ID Cantharidae, Cantharis decipiens ????

Caro Fabrizio ho visto che:
le zampe anteriori hanno 2 unghie;
il dente basale è presente;
la sutura elitrale è nera.

:?:

Autore:  Alessio89 [ 13/05/2014, 10:33 ]
Oggetto del messaggio:  Re: ID Cantharidae, Cantharis decipiens ????

Ciao Francesco, scusami se te lo faccio presente di nuovo, ma anche questo coleottero viene dal futuro :mrgreen: (occhio ai dati).

Non ce l'ho con te, è che posti sempre bestie belle ed inconsuete, quindi non posso fare a meno di andare a leggere la data di raccolta :D.

Autore:  francescoparisi [ 13/05/2014, 10:39 ]
Oggetto del messaggio:  Re: ID Cantharidae, Cantharis decipiens ????

Mannaggia scusami !!! non riesco a capire come faccio a commette questo errore. Ovviamente è 2013 !
Starò più attento :lov2: :lov2: :lov2: :lov2:
Mi scusa ancora :cry: :cry: :cry:

Autore:  Alessio89 [ 13/05/2014, 10:47 ]
Oggetto del messaggio:  Re: ID Cantharidae, Cantharis decipiens ????

Ogni tanto con i cartellini capita pure a me. Stranamente ci sono anni che "si ricordano di più" e altri meno, si tende a mettere quello che ci rimane o che ci è rimasto maggiormente impresso (sarà, per quelli trascorsi, che in quell'annata ne abbiamo dovuti scrivere veramente tanti :gh: ).
:hi:

Autore:  hutia [ 13/05/2014, 12:50 ]
Oggetto del messaggio:  Re: ID Cantharidae, Cantharis decipiens ????

mmmh non hai guardato bene la sutura elitrale, stando alle prime due risposte non deve esserci e se confermi allora si, è una C. decipiens

Autore:  francescoparisi [ 13/05/2014, 14:02 ]
Oggetto del messaggio:  Re: ID Cantharidae, Cantharis decipiens ????

La sutura elitrale è molto scura (nera) almeno così sembra sia dalle foto postate che da sotto il microscopio.
:?: :?:

Autore:  hutia [ 13/05/2014, 14:16 ]
Oggetto del messaggio:  Re: ID Cantharidae, Cantharis decipiens ????

io credo che il nero che vedi siano le ali sotto ma la sutura sia gialla come le elitre; anzi per forza dalle prime tue due risposte

Autore:  francescoparisi [ 13/05/2014, 14:33 ]
Oggetto del messaggio:  Re: ID Cantharidae, Cantharis decipiens ????

Caro Fabrizio io ho controllato bene e la sutura è decisamente nera !!!! non sono le ali sotto che danno quella impressione !
boooooooooooo

Autore:  hutia [ 13/05/2014, 15:01 ]
Oggetto del messaggio:  Re: ID Cantharidae, Cantharis decipiens ????

per questo dicevo che per determinartela con sicurezza dovevo vederla bene, poi cosi sembra una decipiens di più non so dirti

Pagina 1 di 2 Tutti gli orari sono UTC + 1 ora [ ora legale ]
Powered by phpBB® Forum Software © phpBB Group
http://www.phpbb.com/