| Forum Entomologi Italiani https://www.entomologiitaliani.net/public/forum/phpBB3/ |
|
| Cratosilis sp. - Cantharidae https://www.entomologiitaliani.net/public/forum/phpBB3/viewtopic.php?f=291&t=56003 |
Pagina 1 di 1 |
| Autore: | Mikiphasmide [ 28/08/2014, 18:00 ] | ||
| Oggetto del messaggio: | Cratosilis sp. - Cantharidae | ||
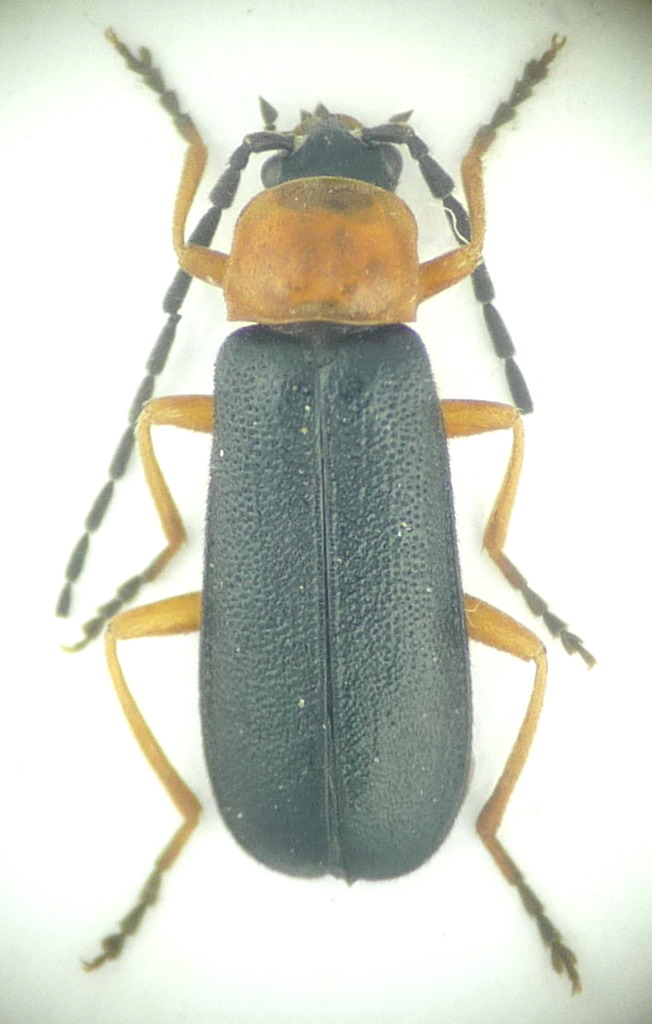
Questo dovrebbe essere un Cratosilis sp. Vale quanto detto qui. 6 mm
|
|||
| Autore: | hutia [ 28/08/2014, 19:15 ] |
| Oggetto del messaggio: | Re: Cantharidae #5 Cratosilis sp |
Cratosilis se è un maschio e ti va estrarre estrarre |
|
| Autore: | Mikiphasmide [ 28/08/2014, 20:01 ] |
| Oggetto del messaggio: | Re: Cantharidae #5 Cratosilis sp |
Senza neanche avere la certezza che sia maschio non ho voglia di riammorbidire, estrarre e ripreparare, con il rischio di danneggiarlo... So che ci sono 4 specie, escludendo C. sicula che dovrebbe essere solo al sud, e C. laeta che ha una colorazione divesra, non ci sono delle chiavi per distinguere le due specie rimanenti? |
|
| Autore: | hutia [ 28/08/2014, 20:49 ] |
| Oggetto del messaggio: | Re: Cantharidae #5 Cratosilis sp |
allora non so aiutarti con certezza, in più servirebbe perlomeno un maggiore dettaglio della scultura elitrale PS: non è che sia 'sta grande perdita perdere una Cratosilis è molto frequente
|
|
| Pagina 1 di 1 | Tutti gli orari sono UTC + 1 ora [ ora legale ] |
| Powered by phpBB® Forum Software © phpBB Group http://www.phpbb.com/ |
|