Benvenuto Ospite

Forum Entomologi Italiani

www.entomologiitaliani.net/forum
 
Oggi è 21/05/2026, 15:02

Tutti gli orari sono UTC + 1 ora [ ora legale ]

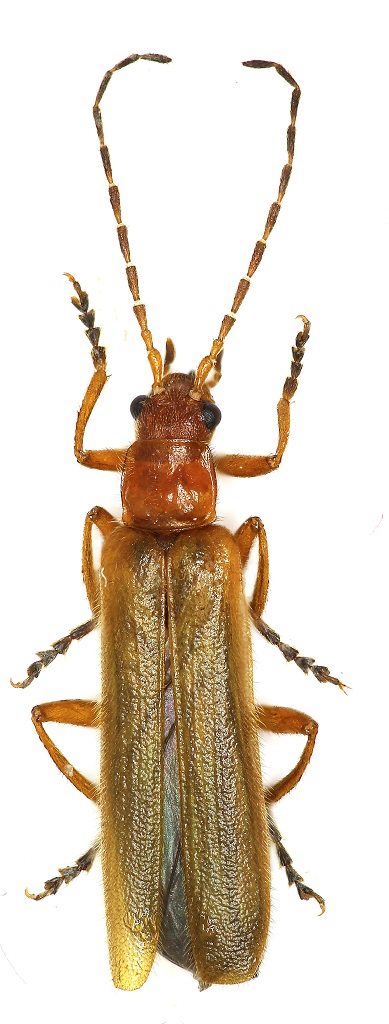
Podistra (Absidia) sp. - Cantharidae

14.VI.2015 - GERMANIA - EE, Northeim


nuovo argomento
rispondi
Pagina 1 di 1 [ 6 messaggi ]
Autore Messaggio
 Oggetto del messaggio: Podistra (Absidia) sp. - Cantharidae
MessaggioInviato: 27/06/2015, 15:11 
Avatar utente

Iscritto il: 31/07/2014, 16:09
Messaggi: 619
Località: Northeim, Lower Saxony, Germany
Nome: Alex Hasenkampf
Absidia rufotestacea or A. schoenherri 9мм


23.97E).jpg

Top
profilo
MessaggioInviato: 27/06/2015, 18:02 
 
più probabilmente rufotestacea


Top
MessaggioInviato: 27/06/2015, 18:04 
 
here the keys
http://www.coleo-net.de/coleo/texte/podistra.htm


Top
MessaggioInviato: 27/06/2015, 21:45 
Avatar utente

Iscritto il: 31/07/2014, 16:09
Messaggi: 619
Località: Northeim, Lower Saxony, Germany
Nome: Alex Hasenkampf
:hi: So, ma l'insetto è già incollato :hi:


Top
profilo
MessaggioInviato: 27/06/2015, 21:47 
Avatar utente

Iscritto il: 31/07/2014, 16:09
Messaggi: 619
Località: Northeim, Lower Saxony, Germany
Nome: Alex Hasenkampf
scusa per il mio italiano :birra: :oops:


Top
profilo
MessaggioInviato: 27/06/2015, 22:12 
 
mi spiace ma senza edeago non sono sicuro con queste...sorry


Top
Visualizza ultimi messaggi:  Ordina per  
nuovo argomento
rispondi
Pagina 1 di 1 [ 6 messaggi ]

Tutti gli orari sono UTC + 1 ora [ ora legale ]


Chi c’è in linea

Visitano il forum: Nessuno e 1 ospite


Non puoi aprire nuovi argomenti
Non puoi rispondere negli argomenti
Non puoi modificare i tuoi messaggi
Non puoi cancellare i tuoi messaggi
Non puoi inviare allegati

Cerca per:
Vai a:  
cron