Benvenuto Ospite

Forum Entomologi Italiani

www.entomologiitaliani.net/forum
 
Oggi è 22/12/2025, 11:05

Tutti gli orari sono UTC + 1 ora [ ora legale ]

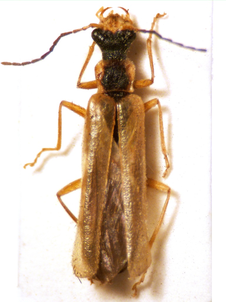
Malthacus procerulus Kiesenwetter, 1860 - Cantharidae - Cantharinae, Podabrini

20.V.2006 - ITALIA - Lazio - RM, Monti Ernici, Collepardo, 890 m


nuovo argomento
rispondi
Pagina 1 di 1 [ 1 messaggio ]
Autore Messaggio
MessaggioInviato: 19/05/2020, 17:51 
Avatar utente

Iscritto il: 28/04/2010, 23:44
Messaggi: 2107
Località: Roma
Nome: Valerio Viglioglia
Specie quasi nuova per il forum

Malthacus procerulus Kiesenwetter, 1860 determinatami da F. Fanti.
Dovrebbe essere l'unico cantaride della tribù Podabrini presente nel Centro Italia

L. = 9,5 mm

P1030253 (FR) Malthacus procerulus.JPG

P1030254.JPG



:hi:

_________________
Valerio V


Top
profilo
Visualizza ultimi messaggi:  Ordina per  
nuovo argomento
rispondi
Pagina 1 di 1 [ 1 messaggio ]

Tutti gli orari sono UTC + 1 ora [ ora legale ]


Chi c’è in linea

Visitano il forum: Nessuno e 1 ospite


Non puoi aprire nuovi argomenti
Non puoi rispondere negli argomenti
Non puoi modificare i tuoi messaggi
Non puoi cancellare i tuoi messaggi
Non puoi inviare allegati

Cerca per:
Vai a: