Benvenuto Ospite

Forum Entomologi Italiani

www.entomologiitaliani.net/forum
 
Oggi è 23/12/2025, 7:27

Tutti gli orari sono UTC + 1 ora [ ora legale ]

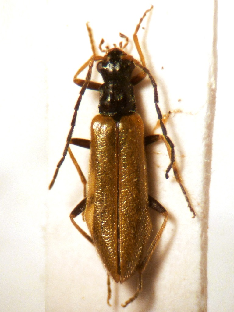
Rhagonycha (Rhagonycha) fuscitibia Rey, 1891- Cantharidae

10.IV.2016 - ITALIA - Lazio - RM, dint. Frazione Marco Simone


nuovo argomento
rispondi
Pagina 1 di 1 [ 1 messaggio ]
Autore Messaggio
MessaggioInviato: 19/05/2020, 17:43 
Avatar utente

Iscritto il: 28/04/2010, 23:44
Messaggi: 2107
Località: Roma
Nome: Valerio Viglioglia
Sul Forum c'è un unico esemplare delle Marche, ne metto uno, anzi due del Lazio appena determinatemi da F. Fanti

L. = 6 mm circa

P1030259 RM Rhagonycha fuscitibia.JPG

P1030261 RM Rhagonycha fuscitibia.JPG



Dalla lunghezza delle antenne presumo maschio e femmina rispettivamente

:hi:

_________________
Valerio V


Top
profilo
Visualizza ultimi messaggi:  Ordina per  
nuovo argomento
rispondi
Pagina 1 di 1 [ 1 messaggio ]

Tutti gli orari sono UTC + 1 ora [ ora legale ]


Chi c’è in linea

Visitano il forum: Nessuno e 1 ospite


Non puoi aprire nuovi argomenti
Non puoi rispondere negli argomenti
Non puoi modificare i tuoi messaggi
Non puoi cancellare i tuoi messaggi
Non puoi inviare allegati

Cerca per:
Vai a:  
cron