Forum Entomologi Italiani
https://www.entomologiitaliani.net/public/forum/phpBB3/

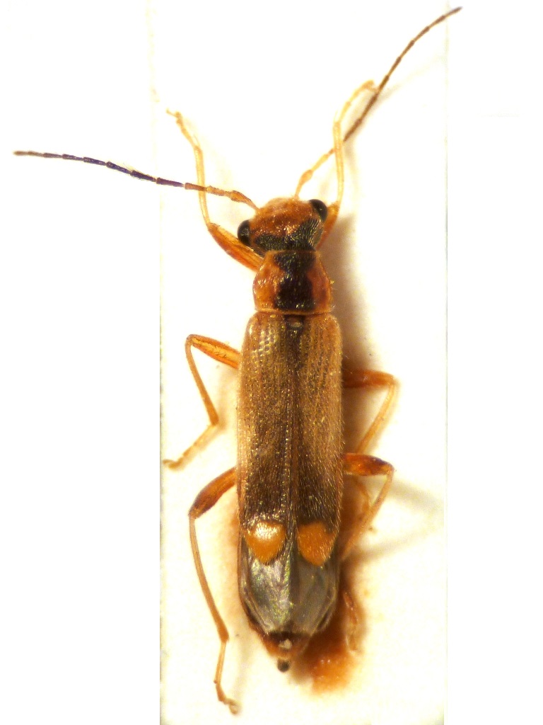
Malthinus seriepunctatus/reflexus - Cantharidae
https://www.entomologiitaliani.net/public/forum/phpBB3/viewtopic.php?f=291&t=90332
Pagina 1 di 1

Autore:  Valerio [ 27/05/2020, 23:52 ]
Oggetto del messaggio:  Malthinus seriepunctatus/reflexus - Cantharidae

semideterminazione da parte di F. Fanti.

Malthinus seriepunctatus/reflexus
Si riconoscono dall'esame dell'edeago e quindi per ora ci fermiamo qui

L. = 5 mm

P1030284 (RM) Malthinus seriepunctatus vs M. reflexus.JPG



:hi:

Pagina 1 di 1 Tutti gli orari sono UTC + 1 ora [ ora legale ]
Powered by phpBB® Forum Software © phpBB Group
http://www.phpbb.com/