Forum Entomologi Italiani
https://www.entomologiitaliani.net/public/forum/phpBB3/

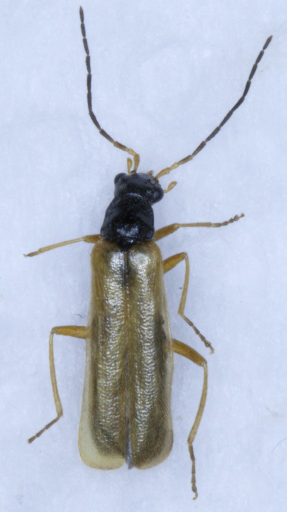
Rhagonycha (Rhagonycha) lignosa (O. F. Muller, 1764)
https://www.entomologiitaliani.net/public/forum/phpBB3/viewtopic.php?f=291&t=95185
Pagina 1 di 1

Autore:  wgliinsetti [ 25/05/2021, 17:49 ]
Oggetto del messaggio:  Rhagonycha (Rhagonycha) lignosa (O. F. Muller, 1764)

Questa mi sembra una Rhagonycha ma non non se si può determinare.

Dim. 6 mm

Allegati:
2021-05-25 17-15-11 (B,Radius8,Smoothing4)2(1).jpg


Autore:  Chalybion [ 25/05/2021, 17:56 ]
Oggetto del messaggio:  Re: Cantharidae?

Con le zampe interamente gialle penso ci sia solo Rhagonycha (Rhagonycha) lignosa (O. F. Muller, 1764). :hi:

Autore:  wgliinsetti [ 25/05/2021, 18:19 ]
Oggetto del messaggio:  Re: Cantharidae?

Grazie mille Giorgio :hi:

Pagina 1 di 1 Tutti gli orari sono UTC + 1 ora [ ora legale ]
Powered by phpBB® Forum Software © phpBB Group
http://www.phpbb.com/