Forum Entomologi Italiani
https://www.entomologiitaliani.net/public/forum/phpBB3/

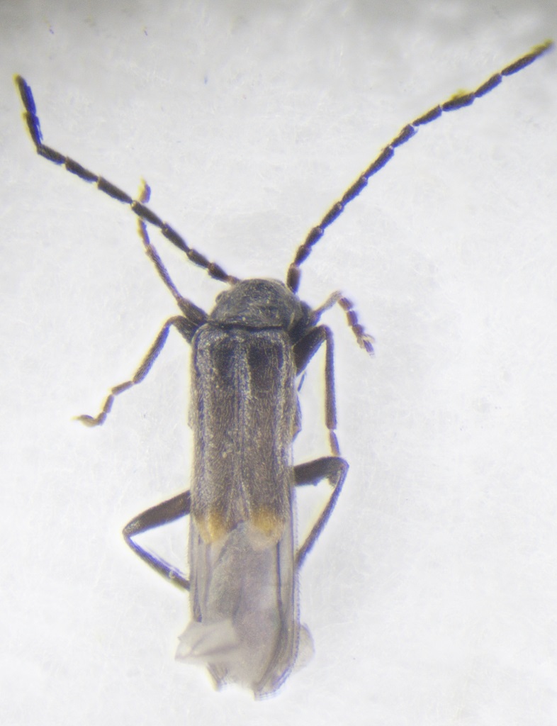
Malthodes sp. - Cantharidae
https://www.entomologiitaliani.net/public/forum/phpBB3/viewtopic.php?f=291&t=95264
Pagina 1 di 1

Autore:  wgliinsetti [ 01/06/2021, 11:04 ]
Oggetto del messaggio:  Malthodes sp. - Cantharidae

Dim 2,5 mm

Allegati:
2021-06-01 10-54-28 (B,Radius8,Smoothing4)2(1).jpg


Pagina 1 di 1 Tutti gli orari sono UTC + 1 ora [ ora legale ]
Powered by phpBB® Forum Software © phpBB Group
http://www.phpbb.com/