Benvenuto Ospite

Forum Entomologi Italiani

www.entomologiitaliani.net/forum
 
Oggi è 22/04/2026, 12:32

Tutti gli orari sono UTC + 1 ora [ ora legale ]

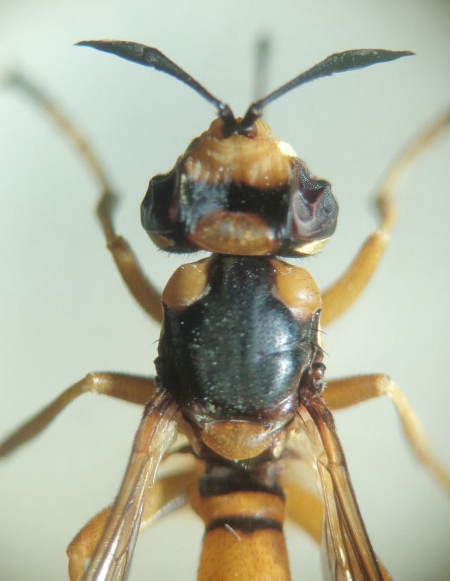
Conops silaceus Wiedemann in Meigen, 1824 - Conopidae

6.VIII.2023 - ITALIA - Emilia-Romagna - RA, Mezzano (ex ZPS)


nuovo argomento
rispondi
Pagina 1 di 1 [ 5 messaggi ]
Autore Messaggio
MessaggioInviato: 18/08/2023, 19:18 
 

Iscritto il: 08/12/2013, 1:52
Messaggi: 7698
Località: Bagnacavallo (RA)
Nome: Giorgio Pezzi
So essere complicati ma ci provo. mm 10, antenne escluse.
:hi:
DSC01060.JPG



DSC01061.JPG

DSC01062.JPG

DSC01057.JPG

DSC01059.JPG

DSC01055.JPG

Top
profilo
 Oggetto del messaggio: Re: Conopidae da ID
MessaggioInviato: 18/08/2023, 21:13 
Avatar utente

Iscritto il: 13/06/2015, 13:46
Messaggi: 1684
Località: Milano
Nome: Claudio Leali
L'aspetto mi ricorda un Leopoldius coronatus, ma è solo una mia idea.

:hi:

_________________
"E' ciò che non si vede, non quello che si vede che fa paura."
Christopher Lee


Top
profilo
 Oggetto del messaggio: Re: Conopidae da ID
MessaggioInviato: 19/08/2023, 6:32 
 

Iscritto il: 10/08/2010, 14:39
Messaggi: 3259
Località: Milano
Nome: Carlo Monari
Nel caso dei Conopidae è importante poter valutare lunghezza e forma della proboscide, qui dettagli se ne vedono molti ma quello male. Tuttavia mi sembra decisamente troppo lunga per Leopoldius; mettendo insieme gli altri elementi arrivo a Conops (Conops) silaceus Wiedemann in Meigen, 1824.

_________________
Ciao

Carlo


Top
profilo
 Oggetto del messaggio: Re: Conopidae da ID
MessaggioInviato: 19/08/2023, 21:02 
 

Iscritto il: 08/12/2013, 1:52
Messaggi: 7698
Località: Bagnacavallo (RA)
Nome: Giorgio Pezzi
Buono a sapersi: aggiungo proboscide.
:hi:
DSC01077.JPG



DSC01079.JPG

Top
profilo
 Oggetto del messaggio: Re: Conopidae da ID
MessaggioInviato: 24/08/2023, 19:07 
 

Iscritto il: 08/12/2013, 1:52
Messaggi: 7698
Località: Bagnacavallo (RA)
Nome: Giorgio Pezzi
Questo è un maschio, vero?. :hi:


Top
profilo
Visualizza ultimi messaggi:  Ordina per  
nuovo argomento
rispondi
Pagina 1 di 1 [ 5 messaggi ]

Tutti gli orari sono UTC + 1 ora [ ora legale ]


Chi c’è in linea

Visitano il forum: Nessuno e 1 ospite


Non puoi aprire nuovi argomenti
Non puoi rispondere negli argomenti
Non puoi modificare i tuoi messaggi
Non puoi cancellare i tuoi messaggi
Non puoi inviare allegati

Cerca per:
Vai a: