Benvenuto Ospite

Forum Entomologi Italiani

www.entomologiitaliani.net/forum
 
Oggi è 18/12/2025, 11:54

Tutti gli orari sono UTC + 1 ora [ ora legale ]

Dasypogon sp. - Asilidae Grecia

16.V.2025 - GRECIA - EE, Milos


nuovo argomento
rispondi
Pagina 1 di 1 [ 6 messaggi ]
Autore Messaggio
 Oggetto del messaggio: Dasypogon sp. - Asilidae Grecia
MessaggioInviato: 29/07/2025, 17:18 
 

Iscritto il: 06/02/2009, 9:15
Messaggi: 156
Nome: Pietro Lo Cascio
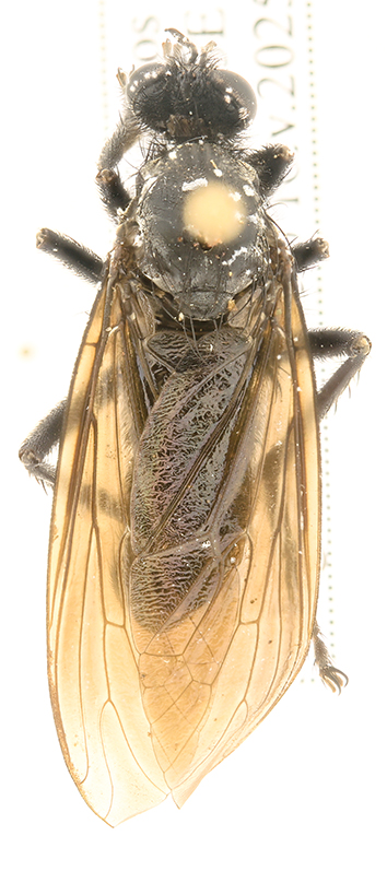
Salve a tutti, avete un'idea di quale specie o almeno a quale genere appartiene questo esemplare? Grazie in anticipo
lunghezza circa 22 mm


asilide milos dorsale.jpg

asilide milos laterale.jpg

Top
profilo
 Oggetto del messaggio: Re: Asilidae Grecia
MessaggioInviato: 01/08/2025, 9:08 
 

Iscritto il: 06/02/2009, 9:15
Messaggi: 156
Nome: Pietro Lo Cascio
qualcuno sa a chi si potrebbe inviare l'esemplare per una determinazione? grazie in anticipo

does anyone know who I could send the specimen for its identification? thanks in advance


Top
profilo
 Oggetto del messaggio: Re: Asilidae Grecia
MessaggioInviato: 02/08/2025, 9:26 
 

Iscritto il: 10/08/2010, 14:39
Messaggi: 3235
Località: Milano
Nome: Carlo Monari
Su questo forum non ho visto interventi di esperti di Asilidae; almeno uno invece frequenta abitualmente Diptera.info, e alcuni anni fa aveva chiesto di poter esaminare degli esemplari. Prova a sottomettere lì la richiesta.

_________________
Ciao

Carlo


Top
profilo
 Oggetto del messaggio: Re: Asilidae Grecia
MessaggioInviato: 03/08/2025, 10:22 
Avatar utente

Iscritto il: 28/05/2009, 16:38
Messaggi: 5041
Nome: luigi lenzini
Non si capisce il colore.
Io anni fa in Grecia, precisamente a Neas Marmaras, penisola Calcidica, osservai un gran numero di Asilidae di quella forma che predavano regolarmente le api sui fiori di erba medica.
Curioso che poi molte di queste api gli venivano rubate dai calabroni.
I miei Asilidae erano di un bel blu elettrico.


Top
profilo
 Oggetto del messaggio: Re: Asilidae Grecia
MessaggioInviato: 03/08/2025, 10:34 
 

Iscritto il: 06/02/2009, 9:15
Messaggi: 156
Nome: Pietro Lo Cascio
grazie per il consiglio, ho appena contattato uno specialista polacco


Top
profilo
 Oggetto del messaggio: Re: Asilidae Grecia
MessaggioInviato: 09/09/2025, 18:55 
 

Iscritto il: 06/02/2009, 9:15
Messaggi: 156
Nome: Pietro Lo Cascio
dovrebbe essere una specie del genere Dasypogon Meigen, 1803


Top
profilo
Visualizza ultimi messaggi:  Ordina per  
nuovo argomento
rispondi
Pagina 1 di 1 [ 6 messaggi ]

Tutti gli orari sono UTC + 1 ora [ ora legale ]


Chi c’è in linea

Visitano il forum: Nessuno e 1 ospite


Non puoi aprire nuovi argomenti
Non puoi rispondere negli argomenti
Non puoi modificare i tuoi messaggi
Non puoi cancellare i tuoi messaggi
Non puoi inviare allegati

Cerca per:
Vai a: