Benvenuto Ospite

Forum Entomologi Italiani

www.entomologiitaliani.net/forum
 
Oggi è 24/12/2025, 19:30

Tutti gli orari sono UTC + 1 ora [ ora legale ]

Quale Asilide?



nuovo argomento
rispondi
Pagina 1 di 1 [ 1 messaggio ]
Autore Messaggio
 Oggetto del messaggio: Quale Asilide?
MessaggioInviato: 07/10/2010, 14:23 
Avatar utente

Iscritto il: 01/11/2009, 9:51
Messaggi: 2330
Nome: Andrea Rattu
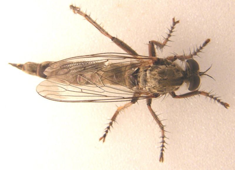
Raccolto questa mattina (7.X.2010) a Cagliari. Misura 19 mm. Qualcuno sa di chi si tratta? (se necessario posso fare altre foto).
Grazie a tutti.


4.jpg

3.JPG


_________________
Se gettassi su di un piatto della bilancia tutto ciò che ho imparato a comprendere in quelle ore di meditazione di fronte all'acquario, e sull'altro tutto ciò che ho ricavato dai libri, come rimarrebbe leggero il secondo!
Konrad Lorenz
Top
profilo
Visualizza ultimi messaggi:  Ordina per  
nuovo argomento
rispondi
Pagina 1 di 1 [ 1 messaggio ]

Tutti gli orari sono UTC + 1 ora [ ora legale ]


Chi c’è in linea

Visitano il forum: Nessuno e 1 ospite


Non puoi aprire nuovi argomenti
Non puoi rispondere negli argomenti
Non puoi modificare i tuoi messaggi
Non puoi cancellare i tuoi messaggi
Non puoi inviare allegati

Cerca per:
Vai a: