Benvenuto Ospite

Forum Entomologi Italiani

www.entomologiitaliani.net/forum
 
Oggi è 26/03/2026, 15:55

Tutti gli orari sono UTC + 1 ora [ ora legale ]

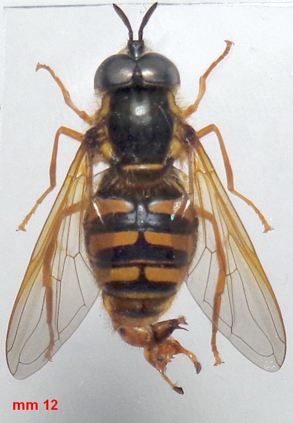
Chrysotoxum cautum (Harris, 1776) ♂ - Syrphidae

17.IV.2025 - ITALIA - Emilia-Romagna - RA, Villanova di Bagnacavallo


nuovo argomento
rispondi
Pagina 1 di 1 [ 3 messaggi ]
Autore Messaggio
MessaggioInviato: 26/04/2025, 18:04 
 

Iscritto il: 08/12/2013, 1:52
Messaggi: 7681
Località: Bagnacavallo (RA)
Nome: Giorgio Pezzi
Con le chiavi arrivo a Chrysotoxum cautum (Harris, 1776) ma un parere esperto è d'uopo. Se ho inteso bene cosa sono i surstyli, mi paiono decisamente asimmetrici come richiesto. Catturato sulla mia Ferula in fiore.
:hi:
DSC04151.JPG



DSC04145.JPG

DSC04146.JPG

DSC04140.JPG

DSC04147.JPG

Top
profilo
 Oggetto del messaggio: Re: Chrysotoxum sp. da ID
MessaggioInviato: 28/04/2025, 6:56 
 

Iscritto il: 10/08/2010, 14:39
Messaggi: 3253
Località: Milano
Nome: Carlo Monari
:ok:

_________________
Ciao

Carlo


Top
profilo
 Oggetto del messaggio: Re: Chrysotoxum sp. da ID
MessaggioInviato: 28/04/2025, 20:16 
 

Iscritto il: 08/12/2013, 1:52
Messaggi: 7681
Località: Bagnacavallo (RA)
Nome: Giorgio Pezzi
Grazie Carlo! :hi:


Top
profilo
Visualizza ultimi messaggi:  Ordina per  
nuovo argomento
rispondi
Pagina 1 di 1 [ 3 messaggi ]

Tutti gli orari sono UTC + 1 ora [ ora legale ]


Chi c’è in linea

Visitano il forum: Nessuno e 2 ospiti


Non puoi aprire nuovi argomenti
Non puoi rispondere negli argomenti
Non puoi modificare i tuoi messaggi
Non puoi cancellare i tuoi messaggi
Non puoi inviare allegati

Cerca per:
Vai a: