Benvenuto Ospite

Forum Entomologi Italiani

www.entomologiitaliani.net/forum
 
Oggi è 02/12/2025, 12:38

Tutti gli orari sono UTC + 1 ora [ ora legale ]

Scaeva pyrastri (Linnaeus, 1758) - Syrphidae

28.VII.2020 - ITALIA - Friuli-Venezia Giulia - UD, val Resia, loc. Stolvizza, m 560


nuovo argomento
rispondi
Pagina 1 di 1 [ 7 messaggi ]
Autore Messaggio
MessaggioInviato: 27/08/2020, 21:34 
 

Iscritto il: 08/12/2013, 1:52
Messaggi: 7576
Località: Bagnacavallo (RA)
Nome: Giorgio Pezzi
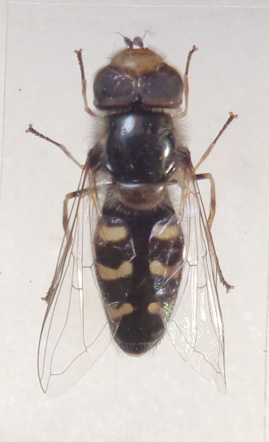
Altra vittima delle pochezze coeotterologiche di luglio; mm 13. E' Scaeva pyrastri (Linnaeus, 1758)?
:hi:
DSC03557.JPG



DSC03562.JPG

DSC03559.JPG

DSC03561.JPG

DSC03563.JPG

Top
profilo
 Oggetto del messaggio: Re: Scaeva sp.
MessaggioInviato: 28/08/2020, 7:41 
 

Iscritto il: 10/08/2010, 14:39
Messaggi: 3231
Località: Milano
Nome: Carlo Monari
C'è qualcosa che mi lascia perplesso. In S. pyrastri le macchie chiare sui tergiti 3 e 4 dovrebbero essere nettamente inclinate rispetto al margine anteriore del tergite, qui invece mi sembrano pressochè parallele. In compenso la possibile alternativa, S. selenitica dovrebbe avere ommatidi di dimensioni visibilmente diverse nella parte antero-dorsale, qui mi sembrano abbastanza omogenei. Sentiamo Pietro o Andrea che ne pensano.

_________________
Ciao

Carlo


Top
profilo
 Oggetto del messaggio: Re: Scaeva sp.
MessaggioInviato: 28/08/2020, 11:45 
 

Iscritto il: 08/12/2013, 1:52
Messaggi: 7576
Località: Bagnacavallo (RA)
Nome: Giorgio Pezzi
Dal "vivo" i margini posteriori delle macchie 2 e 3 in particolare, sono nettamente inclinati rispetto ai margini posteriori dei tergiti precedenti; unendo poi con una linea i lobi anteriori delle macchie, essa è pure inclinata rispetto i margini del tergite precedente. Però confermerei una differenza di dimensione tra ommatidi di una fascia triangolare verso il basso vicino agli occhi ove paiono più piccoli, cosa evidente nelle foto ad hoc.
:hi:
DSC03569.JPG



DSC03564.JPG

DSC03567.JPG

Top
profilo
 Oggetto del messaggio: Re: Scaeva sp.
MessaggioInviato: 28/08/2020, 16:33 
 

Iscritto il: 10/08/2010, 14:39
Messaggi: 3231
Località: Milano
Nome: Carlo Monari
Con queste nuove foto posso confermare S. pyrastri; le linee tangenti alle due 'gobbe' delle macchie chiare sono chiaramente inclinate rispetto al margine anteriore del tergite.

_________________
Ciao

Carlo


Top
profilo
 Oggetto del messaggio: Re: Scaeva sp.
MessaggioInviato: 28/08/2020, 19:11 
 

Iscritto il: 08/12/2013, 1:52
Messaggi: 7576
Località: Bagnacavallo (RA)
Nome: Giorgio Pezzi
Grazie Carlo! :hi:


Top
profilo
 Oggetto del messaggio: Re: Scaeva sp.
MessaggioInviato: 28/08/2020, 19:40 
 

Iscritto il: 06/02/2009, 9:05
Messaggi: 2588
Località: Alghero
Nome: Pietro Niolu
Ho confrontato le tue immagini di dettaglio con le mie, sono sovraponibili!
Da noi, secondo la mia esperienza, la S. pyrastri ha sempre le macchie bianche quindi è facilmente identificabile anche in habitat.
Se riuscissi ad estratte i genitali ed a fare una foto laterale potri fare il confronto ma direi che non è necessario.

_________________
Ciao
Pietro


Top
profilo
 Oggetto del messaggio: Re: Scaeva sp.
MessaggioInviato: 28/08/2020, 20:27 
 

Iscritto il: 08/12/2013, 1:52
Messaggi: 7576
Località: Bagnacavallo (RA)
Nome: Giorgio Pezzi
Pietro Niolu ha scritto:
Ho confrontato le tue immagini di dettaglio con le mie, sono sovraponibili!
Da noi, secondo la mia esperienza, la S. pyrastri ha sempre le macchie bianche quindi è facilmente identificabile anche in habitat.
Se riuscissi ad estratte i genitali ed a fare una foto laterale potrei fare il confronto ma direi che non è necessario.

Meno male! Mai estratto un dittero, anche se credo sia più semplice di molti altri. Grazie della conferma :hi:


Top
profilo
Visualizza ultimi messaggi:  Ordina per  
nuovo argomento
rispondi
Pagina 1 di 1 [ 7 messaggi ]

Tutti gli orari sono UTC + 1 ora [ ora legale ]


Chi c’è in linea

Visitano il forum: Nessuno e 2 ospiti


Non puoi aprire nuovi argomenti
Non puoi rispondere negli argomenti
Non puoi modificare i tuoi messaggi
Non puoi cancellare i tuoi messaggi
Non puoi inviare allegati

Cerca per:
Vai a:  
cron