Benvenuto Ospite

Forum Entomologi Italiani

www.entomologiitaliani.net/forum
 
Oggi è 26/12/2025, 19:53

Tutti gli orari sono UTC + 1 ora [ ora legale ]

Cynipidae? - Hymenoptera

1.VI.2014 - ITALIA - Emilia-Romagna - RE, Comune di Canossa - loc. Cerezzola, torrente Tassobbio


nuovo argomento
rispondi
Pagina 1 di 1 [ 3 messaggi ]
Autore Messaggio
 Oggetto del messaggio: Cynipidae? - Hymenoptera
MessaggioInviato: 27/06/2014, 21:55 
Avatar utente

Iscritto il: 21/02/2011, 15:25
Messaggi: 3879
Località: Montecchio Emilia (RE)
Nome: Violi Michele
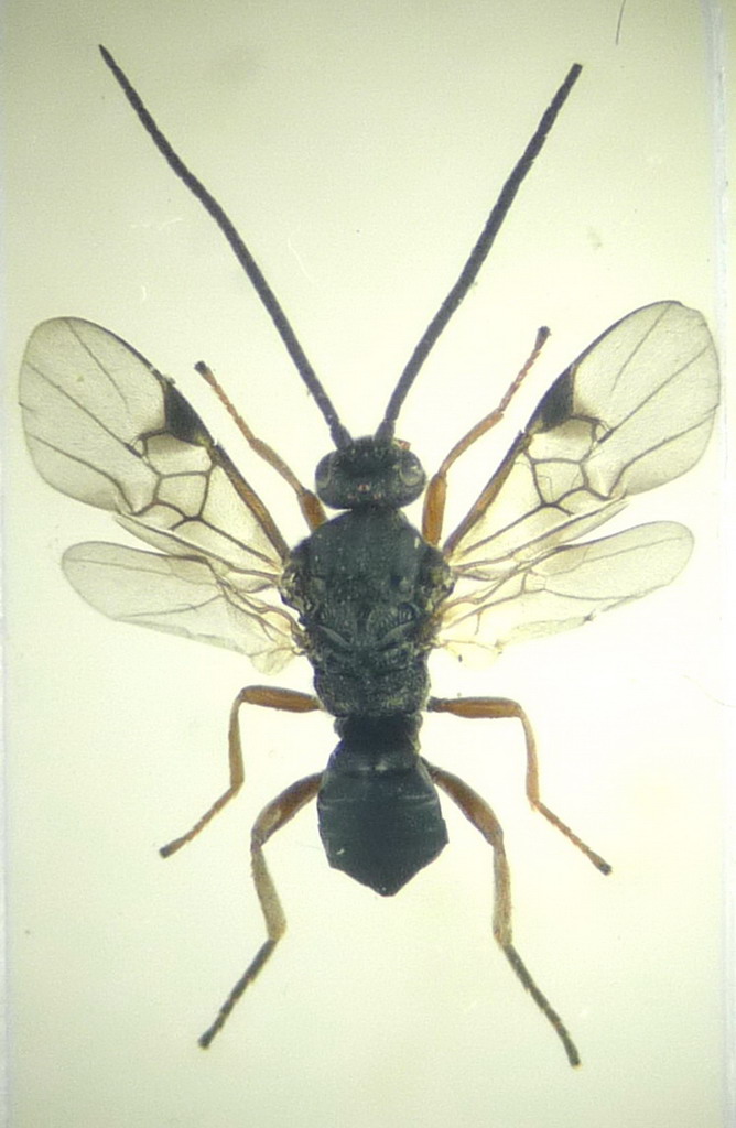
Trovato questo curioso imenottero ombrellando un arbusto, credo, di Hippophae. L'unica famiglia che mi sia venuta in mente alla quale possa appartenere è Cynipidae, ma non sono affatto sicuro :?
5,5 mm


P1500241.jpg

P1500238.jpg

P1500234.jpg


_________________
Michele :D
Top
profilo
 Oggetto del messaggio: Re: Cynipidae? - Hymenoptera
MessaggioInviato: 28/06/2014, 0:46 
Avatar utente

Iscritto il: 01/07/2010, 22:26
Messaggi: 5650
Località: Viterbo
Nome: Marco Selis
Non potrebbe essere un Braconidae o un Ichneumonidae?


Top
profilo
 Oggetto del messaggio: Re: Cynipidae? - Hymenoptera
MessaggioInviato: 28/06/2014, 0:52 
Avatar utente

Iscritto il: 21/02/2011, 15:25
Messaggi: 3879
Località: Montecchio Emilia (RE)
Nome: Violi Michele
Ci avevo pensato... se è così se passasse Eopteryx ce lo confermerebbe.

_________________
Michele :D


Top
profilo
Visualizza ultimi messaggi:  Ordina per  
nuovo argomento
rispondi
Pagina 1 di 1 [ 3 messaggi ]

Tutti gli orari sono UTC + 1 ora [ ora legale ]


Chi c’è in linea

Visitano il forum: Nessuno e 2 ospiti


Non puoi aprire nuovi argomenti
Non puoi rispondere negli argomenti
Non puoi modificare i tuoi messaggi
Non puoi cancellare i tuoi messaggi
Non puoi inviare allegati

Cerca per:
Vai a: