Benvenuto Ospite

Forum Entomologi Italiani

www.entomologiitaliani.net/forum
 
Oggi è 28/03/2026, 10:38

Tutti gli orari sono UTC + 1 ora [ ora legale ]

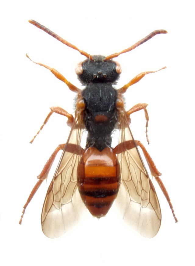
Nomada sp. - Apidae

27.I.2016 - SPAGNA - EE, Canarie, Is. di Gomera, dint. di Las Hayas, m 1170


nuovo argomento
rispondi
Pagina 1 di 1 [ 1 messaggio ]
Autore Messaggio
 Oggetto del messaggio: Nomada sp. - Apidae
MessaggioInviato: 04/04/2016, 10:31 
 

Iscritto il: 08/12/2013, 1:52
Messaggi: 7683
Località: Bagnacavallo (RA)
Nome: Giorgio Pezzi
Specie simile alla bicolor ma con macchia rossa al torace. 8,5 mm. Qualcuno riesce a identificarla? grazie. :hi:
103_0279.JPG



Top
profilo
Visualizza ultimi messaggi:  Ordina per  
nuovo argomento
rispondi
Pagina 1 di 1 [ 1 messaggio ]

Tutti gli orari sono UTC + 1 ora [ ora legale ]


Chi c’è in linea

Visitano il forum: Nessuno e 1 ospite


Non puoi aprire nuovi argomenti
Non puoi rispondere negli argomenti
Non puoi modificare i tuoi messaggi
Non puoi cancellare i tuoi messaggi
Non puoi inviare allegati

Cerca per:
Vai a: