Benvenuto Ospite

Forum Entomologi Italiani

www.entomologiitaliani.net/forum
 
Oggi è 15/12/2025, 7:57

Tutti gli orari sono UTC + 1 ora [ ora legale ]

Ectobius sp - Blattellidae Ectobiinae

20.II.2010 - ITALIA - Emilia-Romagna - BO, Sassi Marconi, loc. Palazzo Rossi


nuovo argomento
rispondi
Pagina 1 di 1 [ 2 messaggi ]
Autore Messaggio
 Oggetto del messaggio: Ectobius sp - Blattellidae Ectobiinae
MessaggioInviato: 20/02/2010, 21:01 
Avatar utente

Iscritto il: 05/02/2009, 17:25
Messaggi: 4894
Località: Zola Predosa (BO)
Nome: Loris Colacurcio
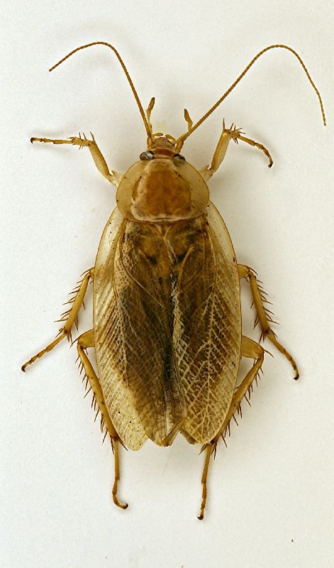
Insistendo tra l'edera cresciuta su alcuni alberi di acacia, ecco arrivare anche un adulto...spero vivamente che sia sempre un Ectobidae, visto che l'ho preparato ! :sick:

Sasso Marconi (BO) Palazzo Rossi, 20.II.2010
ectob1.JPG


_________________
Loris


Top
profilo
 Oggetto del messaggio: Re: Ectobius 2 - Sasso Marconi (BO)
MessaggioInviato: 21/02/2010, 1:56 
Avatar utente

Iscritto il: 06/02/2009, 9:01
Messaggi: 5005
Località: Castel Mella (Brescia)
Nome: Livio Mola
Wow, li stai prendendo in considerazione!!! :hp:
Indubbiamente Ectobius.
Fermiamoci qui.
Quando li prepari, fai in modo che siano esaminabili gli ultimi segmenti addominali e visibile il settimo tergite del maschio (per intenderci: quello che porta la fossetta ghiandolare). Non sono comunque caratteri facili da interpretare senza una buona esperienza, ma a volte ci si azzecca. :D

_________________
L'oca è ritenuto l'animale simbolo della stupidità, a causa delle sciocchezze che gli uomini hanno scritto con le sue penne.


Top
profilo
Visualizza ultimi messaggi:  Ordina per  
nuovo argomento
rispondi
Pagina 1 di 1 [ 2 messaggi ]

Tutti gli orari sono UTC + 1 ora [ ora legale ]


Chi c’è in linea

Visitano il forum: Nessuno e 2 ospiti


Non puoi aprire nuovi argomenti
Non puoi rispondere negli argomenti
Non puoi modificare i tuoi messaggi
Non puoi cancellare i tuoi messaggi
Non puoi inviare allegati

Cerca per:
Vai a:  
cron