Benvenuto Ospite

Forum Entomologi Italiani

www.entomologiitaliani.net/forum
 
Oggi è 22/04/2026, 14:29

Tutti gli orari sono UTC + 1 ora [ ora legale ]

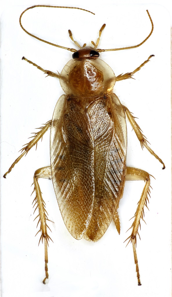
Ectobius sp. - Blattelidae Ectobiinae

31.VII.2015 - ITALIA - Veneto - VE, San Michele al Tagliamento (VE), loc.: Bibione


nuovo argomento
rispondi
Pagina 1 di 1 [ 5 messaggi ]
Autore Messaggio
 Oggetto del messaggio: Ectobius sp. - Blattelidae Ectobiinae
MessaggioInviato: 19/10/2015, 17:43 
Avatar utente

Iscritto il: 31/07/2014, 16:09
Messaggi: 619
Località: Northeim, Lower Saxony, Germany
Nome: Alex Hasenkampf
:hi: 11mm


11mm31.07.15Bibione, VE, Italia 45°38'34.2N 13°02'19.7E.jpg

Top
profilo
 Oggetto del messaggio: Re: Blattodea ..
MessaggioInviato: 20/10/2015, 15:10 
Avatar utente

Iscritto il: 06/02/2009, 9:01
Messaggi: 5005
Località: Castel Mella (Brescia)
Nome: Livio Mola
Ciao Alex.
Ectobius sp.
Maschio.
Perdona se rispondo in italiano (il mio inglese fa ...schifo!)
Riusciresti ad allargare le ali e fotografare la fossetta ghiandolare? Sarà certamente deformata però, forse, a qualcosa arriviamo :)

_________________
L'oca è ritenuto l'animale simbolo della stupidità, a causa delle sciocchezze che gli uomini hanno scritto con le sue penne.


Top
profilo
 Oggetto del messaggio: Re: Blattodea ..
MessaggioInviato: 20/10/2015, 18:54 
Avatar utente

Iscritto il: 31/07/2014, 16:09
Messaggi: 619
Località: Northeim, Lower Saxony, Germany
Nome: Alex Hasenkampf
Thank You ! :hi:


CM151020-18432402.jpg

CM151020-18431601.jpg

Top
profilo
 Oggetto del messaggio: Re: Blattodea ..
MessaggioInviato: 20/10/2015, 19:41 
Avatar utente

Iscritto il: 06/02/2009, 9:01
Messaggi: 5005
Località: Castel Mella (Brescia)
Nome: Livio Mola
Grazie Alex.
Come sospettavo, la fossetta è (molto) deformata.
Guarderei dalle parti di E. erythronotus ... ;)
Purtroppo, dovrai accontentarti di etichettarlo come Ectobius sp.

_________________
L'oca è ritenuto l'animale simbolo della stupidità, a causa delle sciocchezze che gli uomini hanno scritto con le sue penne.


Top
profilo
 Oggetto del messaggio: Re: Blattodea ..
MessaggioInviato: 20/10/2015, 20:03 
Avatar utente

Iscritto il: 31/07/2014, 16:09
Messaggi: 619
Località: Northeim, Lower Saxony, Germany
Nome: Alex Hasenkampf
Grazie mille !
MFG Alex


Top
profilo
Visualizza ultimi messaggi:  Ordina per  
nuovo argomento
rispondi
Pagina 1 di 1 [ 5 messaggi ]

Tutti gli orari sono UTC + 1 ora [ ora legale ]


Chi c’è in linea

Visitano il forum: Nessuno e 1 ospite


Non puoi aprire nuovi argomenti
Non puoi rispondere negli argomenti
Non puoi modificare i tuoi messaggi
Non puoi cancellare i tuoi messaggi
Non puoi inviare allegati

Cerca per:
Vai a: