Benvenuto Ospite

Forum Entomologi Italiani

www.entomologiitaliani.net/forum
 
Oggi è 24/12/2025, 20:57

Tutti gli orari sono UTC + 1 ora [ ora legale ]

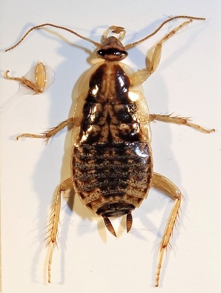
Phyllodromica sp. (cf.) - Blattellidae

29.IX.2017 - SPAGNA - EE, Canarie - La Palma - Refugio El Pilar m 1450


nuovo argomento
rispondi
Pagina 1 di 1 [ 4 messaggi ]
Autore Messaggio
MessaggioInviato: 08/11/2017, 11:37 
Avatar utente

Iscritto il: 23/06/2010, 11:11
Messaggi: 2784
Località: Cagliari
Nome: Gianpaolo Ruzzante
mm 11 :hi: :hi:


mm 11 kk.JPG

Top
profilo
 Oggetto del messaggio: Re: Blattaria
MessaggioInviato: 13/11/2017, 12:09 
 

Iscritto il: 24/10/2011, 17:30
Messaggi: 1527
Nome: Isidro Martínez
Ninfa di Blattella germanica :)


Top
profilo
 Oggetto del messaggio: Re: Blattaria
MessaggioInviato: 13/11/2017, 14:32 
Avatar utente

Iscritto il: 22/03/2010, 10:17
Messaggi: 1163
Località: Cluj-Napoca, Romania
Nome: Adrian Ruicanescu
I am not that sure. In this picture, I see short but complete wings, like in the adult female of Blatta orientalis, in opposition the Blattidae nymph's wings are just extensions of meso- and metanota.
Compare with this picture:
https://bugguide.net/images/raw/IZB/L3L ... PRAL2R.jpg

_________________
Ciao :hi:
Adrian


Top
profilo
 Oggetto del messaggio: Re: Blattaria
MessaggioInviato: 13/11/2017, 16:40 
Avatar utente

Iscritto il: 19/06/2012, 14:35
Messaggi: 5650
Località: Alfonsine (RA)
Nome: Marco Villani
Per me è una femmina adulta di Phyllodromica sensu lato.
Marco.


Top
profilo
Visualizza ultimi messaggi:  Ordina per  
nuovo argomento
rispondi
Pagina 1 di 1 [ 4 messaggi ]

Tutti gli orari sono UTC + 1 ora [ ora legale ]


Chi c’è in linea

Visitano il forum: Nessuno e 2 ospiti


Non puoi aprire nuovi argomenti
Non puoi rispondere negli argomenti
Non puoi modificare i tuoi messaggi
Non puoi cancellare i tuoi messaggi
Non puoi inviare allegati

Cerca per:
Vai a: