Benvenuto Ospite

Forum Entomologi Italiani

www.entomologiitaliani.net/forum
 
Oggi è 22/11/2025, 22:42

Tutti gli orari sono UTC + 1 ora [ ora legale ]

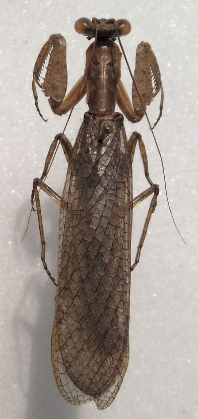
Zouza radiosa Giglio-Tos, 1907

21.XII.1993 - SUD AFRICA - EE, Kruger NP, Mopani Lodge


nuovo argomento
rispondi
Pagina 1 di 1 [ 4 messaggi ]
Autore Messaggio
 Oggetto del messaggio: Zouza radiosa Giglio-Tos, 1907
MessaggioInviato: 15/02/2014, 0:12 
 

Iscritto il: 08/12/2013, 1:52
Messaggi: 7565
Località: Bagnacavallo (RA)
Nome: Giorgio Pezzi
lunghezza mm 40/45 mm (testa-ali), corpo 33-40 mm
mant larga Krug .jpg



Top
profilo
 Oggetto del messaggio: Re: Mantide sudafricana da ID
MessaggioInviato: 15/02/2014, 15:26 
Avatar utente

Iscritto il: 19/06/2012, 14:35
Messaggi: 5640
Località: Alfonsine (RA)
Nome: Marco Villani
Zouza radiosa Giglio-Tos, 1907 ;)


Top
profilo
 Oggetto del messaggio: Re: Mantide sudafricana da ID
MessaggioInviato: 15/02/2014, 18:46 
 

Iscritto il: 08/12/2013, 1:52
Messaggi: 7565
Località: Bagnacavallo (RA)
Nome: Giorgio Pezzi
Grazie Marco, avevo preparato una seconda foto un po' meglio.
Giorgio. :hi:
mant larga krug.jpg



Top
profilo
 Oggetto del messaggio: Re: Mantide sudafricana da ID
MessaggioInviato: 15/02/2014, 19:50 
Avatar utente

Iscritto il: 19/06/2012, 14:35
Messaggi: 5640
Località: Alfonsine (RA)
Nome: Marco Villani
Confermo quindi la specie, unica del genere e unico Liturgusidae sudafricano (almeno da quel che si sapeva nel 2008) :ok:


Top
profilo
Visualizza ultimi messaggi:  Ordina per  
nuovo argomento
rispondi
Pagina 1 di 1 [ 4 messaggi ]

Tutti gli orari sono UTC + 1 ora [ ora legale ]


Chi c’è in linea

Visitano il forum: Nessuno e 4 ospiti


Non puoi aprire nuovi argomenti
Non puoi rispondere negli argomenti
Non puoi modificare i tuoi messaggi
Non puoi cancellare i tuoi messaggi
Non puoi inviare allegati

Cerca per:
Vai a: