Benvenuto Ospite

Forum Entomologi Italiani

www.entomologiitaliani.net/forum
 
Oggi è 03/03/2026, 11:17

Tutti gli orari sono UTC + 1 ora [ ora legale ]

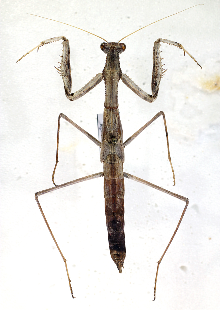
Rivetina baetica tenuidentata La Greca & Lombardo, 1982 - Mantodea

21.V.2004 - TUNISIA - EE, 15 km S di Sfax, leg. D. Sechi


nuovo argomento
rispondi
Pagina 1 di 1 [ 5 messaggi ]
Autore Messaggio
MessaggioInviato: 30/08/2014, 19:15 
Avatar utente

Iscritto il: 04/02/2009, 17:49
Messaggi: 5555
Località: Cagliari
Nome: Daniele Sechi
lunghezza circa 5 cm.
mantide3 rid.jpg


_________________
:hi:
Daniele


Top
profilo
 Oggetto del messaggio: Re: Mantodea 3
MessaggioInviato: 30/08/2014, 20:05 
Avatar utente

Iscritto il: 19/06/2012, 14:35
Messaggi: 5663
Località: Alfonsine (RA)
Nome: Marco Villani
Direi Rivetina, avresti una foto ravvicinata dell'addome, anche in visione laterale?


Top
profilo
 Oggetto del messaggio: Re: Mantodea 3
MessaggioInviato: 30/08/2014, 20:10 
Avatar utente

Iscritto il: 04/02/2009, 17:49
Messaggi: 5555
Località: Cagliari
Nome: Daniele Sechi
eccola


mantide3 rid add.jpg


_________________
:hi:
Daniele
Top
profilo
 Oggetto del messaggio: Re: Mantodea 3
MessaggioInviato: 30/08/2014, 21:16 
Avatar utente

Iscritto il: 19/06/2012, 14:35
Messaggi: 5663
Località: Alfonsine (RA)
Nome: Marco Villani
Direi Rivetina baetica tenuidentata La Greca & Lombardo, 1982
:hi:


Top
profilo
 Oggetto del messaggio: Re: Mantodea 3
MessaggioInviato: 30/08/2014, 23:34 
Avatar utente

Iscritto il: 04/02/2009, 17:49
Messaggi: 5555
Località: Cagliari
Nome: Daniele Sechi
Grazie!

_________________
:hi:
Daniele


Top
profilo
Visualizza ultimi messaggi:  Ordina per  
nuovo argomento
rispondi
Pagina 1 di 1 [ 5 messaggi ]

Tutti gli orari sono UTC + 1 ora [ ora legale ]


Chi c’è in linea

Visitano il forum: Nessuno e 2 ospiti


Non puoi aprire nuovi argomenti
Non puoi rispondere negli argomenti
Non puoi modificare i tuoi messaggi
Non puoi cancellare i tuoi messaggi
Non puoi inviare allegati

Cerca per:
Vai a:  
cron